LISTADO DE DOCUMENTOS:
1. LISTADO DE DOCUMENTOS
2. OFICIO CONDUCTOR
3. FORMULARIO ÚNICO NACIONAL MINVU
4. PATENTE PROFESIONAL ACTUANTE
5. ANTECEDENTES REPRESENTANTE LEGAL
6. CERTIFICADOS DE ZONIFICACIÓN
7. DECLARACIÓN SIMPLE DEL ARQUITECTO
8. MEMORIA DESCRIPTIVA DE LAS MODIFICACIONES
9. EETT RESUMIDAS
10. PLANOS NUMERADOS
JUAN LUIS MENARES RODRÍGUEZ INVERSIONES E INMOBILIARIA LONQUÉN SUR LTDA
ARQUITECTO MANUEL GUMUCIO GUMUCIO
REP. LEGAL PROPIETARIO
Calera de Tango, marzo de 2025
SOLICITUD DE PERMISO DE OBRA MENOR
-SIN ALTERAR ESTRUCTURA-
ANT: Visita fiscalizadores DOM.
MAT: Rectificación de obras que expone.
A: ANAMARÍA BERTUCCI ARANDA Directora de Obras de Talagante
DE: MANUEL GUMUCIO GUMUCIO Rep. Legal Propietario
JUAN LUIS MENARES RODRIGUEZ Arquitecto patrocinante
Estimada Srta. ANAMARÍA BERTUCCI ARANDA
Directora de Obras Ilustre Municipalidad de Talagante
Agradeciendo de antemano su tiempo y en razón a recientes fiscalizaciones de obra en local #4 de "Strip
center" ubicado en Camino Melipilla T57S (ruta G-78) # 7022, comuna de Talagante, propiedad rol 503-735;
se solicita ingresar a trámite expediente de arquitectura adjunto por razones que se expone:
CONSIDERANDO
1. El art 5.1.2 de la OGUC, que libera de permiso las reparaciones, divisiones interiores y obras no
estructurales en general.
2. el decreto específico ddu 474 inciso c, que obliga a informar en planos aquellas acciones exentas
según art 5.1.2 OGUC.
3. Que el local 4 cuenta con permiso de obras y recepción con destino comercial.
4. Que dentro del local se ha realizado desmonte parcial de tabique no estructural (del tipo división
interior).
5. Que luego de la visita, los inspectores municipales, de la dirección de obras de Talagante, han
requerido informar la remoción de tabique no estructural, a fin de conservar la patente comercial.
SE SOLICITA
Ingreso a trámite de solicitud de permiso de obra menor sin alterar estructura y sin considerar adición de
metros cuadrados (simplemente tratándose de la remoción de tabique no estructural).
NOTA: Se fotos de la división interior desmontada en el documento denominado “memoria explicativa” para
mejor resolver.
Sin otro particular y agradeciendo nuevamente su amable disposición, le saludan cordialmente
JUAN LUIS MENARES RODRÍGUEZ INVERSIONES E INMOBILIARIA LONQUÉN SUR LTDA
ARQUITECTO MANUEL GUMUCIO GUMUCIO
REP. LEGAL PROPIETARIO
Calera de Tango, marzo de 2025
DECLARA BAJO SU RESPONSABILIDAD
QUE SE ENCUENTRA INSCRITO A FOJAS Nº
SI NO
DE FECHA
ANTE EL NOTARIO SR (A)
SOLICITUD DE PERMISO DE OBRA MENOR
AMPLIACION MENOR A 100 M2 MODIFICACION ART. 6.2.9. O.G.U.C.
sin alterar estructura
DIRECCION DE OBRAS - I. MUNICIPALIDAD DE :
NUMERO SOLICITUD
DE FECHA
Fecha de Ingreso
* A LLENAR POR LA LA D.O.M.
URBANO
1.- DIRECCION DE LA PROPIEDAD
RURAL
CERTIFICADO DE INFORMACIONES PREVIAS
NÚMERO
CALLE o CAMINO NUMERO ROLSII
MANZANA LOTE LOTEO O LOCALIDAD PLANO DE LOTEO Nº
2.- DECLARACIÓN JURADA
CÉDULA DE
NOMBRE
IDENTIDAD Nº
SER PROPIETARIO (O REPRESENTANTE LEGAL DEL PROPIETARIO) DEL BIEN RAIZ UBICADO EN CALLE/
/AVENIDA/CAMINO NUMERO:
ROL DE AVALUO Nº DE LA COMUNA DE
AÑO DEL REGISTRO
DE PROPIEDAD DEL CONSERVADOR DE BIENES RAÍCES DE
EN EL CUAL SE EMPLAZA EL PROYECTO PARA EL QUE SE PRESENTA ESTA SOLICITUD.
ADJUNTA PLANO TOPOGRÁFICO(*)Art. 1.4.8. OGUC :
DENOMINADO:
ELABORADO POR : DE PROFESIÓN:
NOTA: DE EXISTIR DOS O MÁS PROPIETARIOS, Y/O DOS O MÁS BIENES RAÍCES SE DEBERÁ ACOMPAÑAR HOJA ADJUNTA CON LOS DATOS Y FIRMAS CORRESPONDIENTE
(*) SOLO EN LA EVENTUALIDAD QUE SE ACOMPAÑE DICHO PLANO.
3.- DATOS DEL PROPIETARIO
NOMBRE O RAZÓN SOCIAL R.U.T. FIRMA DEL PROPIETARIO
PERSONA NATURAL O REPRESENTANTE LEGAL
REPRESENTANTE LEGAL R.U.T.
DIRECCIÓN / CALLE / PASAJE Nº COMUNA
E-MAIL TELEFONO FAX
PERSONERIA DEL REPRESENTANTE LEGAL
SE ACREDITA MEDIANTE
Y REDUCIDA A ESCRITURA PUBLICA CON FECHA
4.- ARQUITECTO PROYECTISTA
NOMBRE O RAZÓN SOCIAL DE LA EMPRESA (cuando corresponda) R.U.T. FIRMA
NOMBRE ARQUITECTO PROYECTISTA R.U.T.
DIRECCIÓN / CALLE / PASAJE Nº COMUNA
E-MAIL TELEFONO FAX PATENTE PROFESIONAL N°
FORMULARIO 1.1 (S.O.M. - 5.1.4./6.2.9.)
1/3
✔
✔
✔
TALAGANTE
METROPOLITANA DE SANTIAGO
2706 19-Mar-25
CAM MELIPILLA T57S (RUTA G-78) 7022 503-735
*** 1-B Div. Predial Res. Nº 004 (13.02.2014) ***
INVERSIONES E INMOBILIARIA LONQUÉN SUR LTDA
76.772.329-6
CAM MELIPILLA T57S (RUTA G-78) 7022
503-735 TALAGANTE
2509 2364 2017
TALAGANTE
INVERSIONES E INMOBILIARIA LONQUÉN SUR LTDA 76.772.329-6
MANUEL GUMUCIO GUMUCIO 6.053.135-8
CAM MELIPILLA T57S (RUTA G-78) 7022 TALAGANTE
fullmarket.carampangue@gmail.com +56 9 8776 3173 +56 9 8776 3173
INSCRIPCIÓN DE SOCIEDAD
01-Aug-17 01-Aug-17
DIARIO OFICIAL DE LA REPÚBLICA DE CHILE
JUAN LUIS MENARES RODRÍGUEZ 15.069.551-1
JUAN LUIS MENARES RODRÍGUEZ 15.069.551-1
DIEGO PORTALES 1275 LA LIGUA
JUAN.MENARES@UG.UCHILE.CL +56941055309 +56941055309 PRO 207
REGIÓN
N°
SI NO
8.-
años.
DOM DOM
5.- REVISOR INDEPENDIENTE
CUENTA CON INFORME FAVORABLE REVISOR INDEPENDIENTE SI NO Fecha
NOMBRE REVISOR INDEPENDIENTE
R.U.T. E-MAIL TELEFONO / FAX CATEGORIA REGISTRO
6.- ANTECEDENTES DE PERMISOS Y RECEPCIONES ANTERIORES
PERMISO PRIMITIVO N° FECHA SUPERFICIE m2
MODIFICACIONES Y AMPLIACIONES N° FECHA SUPERFICIE m2
RECEPCIÓN N° FECHA SUPERFICIE m2
7.- CARACTERÍSTICAS DEL PROYECTO (PARA PROYECTOS DE EDIFICACIÓN)
DESTINO PRINCIPAL DE LA EDIFICACIÓN SUP. TOTAL EXISTENTE SUP. TOTAL PROYECTADA N° PISOS SOBRE N.N.T.
PROYECTADO
OCUPADO OCUPADO
SUPERFICIE TOTAL TERRENO COEF. CONSTRUCTIBILIDAD COEF. DE OCUPACION DE SUELO
AUTORIZACIONES ESPECIALES
Art. 121 LGUC Art.122 LGUC Art.123 LGUC Art.124 LGUC Ley 19.537 Otro
PROYECTADO
EDIFICIOS DE USO PÚBLICO SI NO
EDIFICIO DECLARADO MONUMENTO NACIONAL O SEÑALADO COMO INMUEBLE O ZONA DE CONSERVACIÓN
HISTÓRICA POR EL IPT.
PLAZO SOLICITADO (EN CASO DE ARTÍCULOS 121, 122, 123 ó 124 DE LA LGUC)
Se solicita que el permiso tenga una vigencia de
9.- ANTECEDENTES QUE SE ADJUNTAN
(ART. 5.1.4./1.4.2./1.2.1. O.G.U.C.)
Fotocopia Certificado de Informaciones Previas vigente Fotocopia de Patente al día del o los Profesional (es)Competente(s).
Declaración Simple del Profesional Competente, según corresponda Croquis de ubicación o croquis de emplazamiento, a escala.
Informe del Revisor Independiente ( si concurre ) Plano a escala y cuadro de superficie, cuando corresponda.
Certificado de inscripción Revisor Independiente, cuando corresponda. Especificaciones Técnicas resumidas, cuando corresponda.
DEBERÁ ACOMPAÑARSE AL MOMENTO DE LA SOLICITUD, UNA COPIA DE LOS DOCUMENTOS Y PLANOS.
UNA VEZ AUTORIZADO EL PAGO DE DERECHOS DEBERÁ ACOMPAÑARSE UNA SEGUNDA COPIA DE LOS DOCUMENTOS Y PLANOS
10.- MONTO A CONSIGNAR AL INGRESO ( A LLENAR POR LA D.O.M.)
PRESUPUESTO DE LA OBRA $ Monto Total Derechos Municipales $
PORCENTAJE A CONSIGNAR % Monto $
GIRO INGRESO MUNICIPAL N° De Fecha
NOMBRE O RAZÓN SOCIAL DE LA EMPRESA CONSTRUCTORA * R.U.T. FIRMA
NOMBRE DEL CONSTRUCTOR * R.U.T.
DIRECCIÓN / CALLE / PASAJE Nº COMUNA
E-MAIL TELEFONO FAX PATENTE PROFESIONAL N°
* Profesional que podrá individualizarse hasta antes del inicio de las obras.
FORMULARIO 1.1 (S.O.M. - 5.1.4./6.2.9.)
2/3
✔
✔
✔
✔
✔
✔
✔
✔
✔
✔
JUAN LUIS MENARES RODRÍGUEZ 15069551-1
JUAN LUIS MENARES RODRÍGUEZ 15069551-1
DIEGO PORTALES 1275 LA LIGUA
JUAN.MENARES@UG.UCHILE.CL +56941055309
+56941055309 PRO 207
OBRA NUEVA 224 / 2018 28-Aug-2018 527.45
MODIFICACIÓN DE PROYECTO 330 / 2019 23-Oct-2019 510.17 -se restó 17.28 m2-
COMERCIO 510.17 510.17 1
3570 M2
90%
14.29%
14.29%
50%
14.29%
14.29%
NOTA ( PARA SITUACIONES ESPECIALES )

COMPROBANTE DE INGRESO S.O.M.-5.1.4./6.2.9.
MONTO CONSIGNADO AL INGRESO $ GIM Nº FECHA
CALLE o CAMINO NÚMERO
NUMERO SOLICITUD
NOMBRE Y FIRMA FUNCIONARIO DOM
TIMBRE D.O.M.
DIRECCION DE OBRAS - I. MUNICIPALIDAD DE :
Fecha de Ingreso
FORMULARIO 1.1 (S.O.M. - 5.1.4./6.2.9.)
3/3
IMPRIMIR
SE ACOGE A DDU 474 inciso C, SE INFORMA ACCIONES EXENTAS SEGÚN ART 5.1.2 OGUC
TALAGANTE
CAM MELIPILLA T57S (RUTA G-78) 7022
0
1
ÿ
3
4
5
6
7
81
9
34
ÿ 1
9
3
1

ÿ
9
6
4
4
3

1
ÿ ÿ6

6
ÿ
7574
9
3
1



4
5
6
7
81
9
34
ÿ 1
9
3
1

ÿ
1

81
94
1

1
ÿ4
ÿ
ÿ



ÿ7
6
9
9
34
ÿ

ÿ

6
ÿ
ÿ

7

ÿ

!
ÿ

7

ÿ


ÿ

7
ÿ #
$
4
ÿ
9
6
7
7 6
4

1

%11
ÿ
9

6
7
3
1

ÿ
ÿ

'
83
 ÿ
ÿ7
63
1
 ÿ
7

7
1

ÿ
5
ÿ
#47
1

1
ÿ6
7
ÿ
%
()*
ÿ
1
ÿ1
7

3
7
ÿ
ÿ

6ÿ
1
4
6ÿ
1
4
+

6
#
6ÿ

ÿ


ÿ6
,
7ÿ
3
8+
#4 ÿ1

3

1

6
7

6
7
79

3
5
3
9
1

1
0
1
ÿ
9
11
ÿ
-71ÿ
.6
86
#
/
41ÿ

ÿ
(1

1

$
6
ÿ
*)ÿ01
ÿ 
+
ÿ
7
83
4
1

1
ÿ
ÿ
1
9
7

6
ÿ
1
ÿ

1
ÿ
,
1 ÿ
ÿ

1

6ÿ
9
1

1
7
1

ÿ

ÿ


ÿ

3
#4
ÿ
1

ÿ #

4

6
ÿ 8 
7
ÿ0

ÿ6
7
ÿ

6
ÿ
2
ÿ
4
6
ÿ
75
3
1
4
ÿ
86

3
5
3
9
1
9
3
6
4 ÿ67
3
6
7 ÿ

ÿ

6ÿ
86
4

6ÿ
ÿ

1

6
7
ÿ
8ÿ
ÿ
7
74
6
ÿ 
+
4
ÿ47 1

6ÿ4
ÿ
86
4
1
ÿ
4
1
9
3
6
4
1

ÿ
1

ÿ
)*56
))()ÿ
5)ÿ0

0
1
ÿ
9
11
ÿ
%6
8
4
1
7
9

6
7
ÿ

ÿ
(1

1

$
6
ÿ
8#
7
'
9
6

1
ÿ0
ÿ
7
83
4
1
ÿ

6ÿ

1

6
7 ÿ
ÿ
7
74
6
ÿ6
7
ÿ
9

1 ÿ
ÿ
6
ÿ4
ÿ
86
4
1
ÿ
4
1
9
3
6
4
1

ÿ6
7
ÿ
9

+
71
47 1

6ÿ4
ÿ
86
4
1
ÿ
4
1
9
3
6
4
1

ÿ
1

ÿ
)*56ÿ
))()ÿ
5)ÿ09

0
1ÿ
9
11ÿ
ÿ
-71ÿ
.6
86
#
/
41ÿ

ÿ
ÿ

1

6
7
ÿ

ÿ
8ÿ
ÿ
7
74
6
ÿ
:4
ÿ
86
4
1
ÿ
4
1
9
3
6
4
1

ÿ
1

ÿ
)*56ÿ
))()ÿ
5)ÿ0
;
ÿ

ÿ
(1

1

$
6
ÿ0 ÿ 
+
4
7
83
4
1

1ÿ
ÿ
1
9
7

6
ÿ
1
ÿ

1
ÿ
,
1 ÿ
ÿ

1

6ÿ
9
1

1
7
1

ÿ

ÿ


ÿ

3
#4
ÿ
1

ÿ #

4

6
ÿ 8 
7ÿ
ÿ0

ÿ6
7
ÿ

6
ÿ
2
ÿ
4
6
ÿ
75
3
1
4
ÿ
86

3
5
3
9
1
9
3
6
4
67
3
6
7 
0
1
ÿ
9
11
ÿ
-71ÿ
.6
86
#
/
41ÿ

ÿ
(1

1

$
6
ÿ
ÿ3

3
6ÿ
4
6
ÿ
3
5
3
9
1

6
ÿ7
63
1
 ÿ
1
,
1
4

6
4
1

1ÿ

ÿ6

6ÿ

1
77
6ÿ0

ÿ 
+
ÿ
7
83
4
1

1
ÿ
ÿ
1
9
7

6
1
ÿ

1
ÿ
,
1 ÿ
ÿ

1

6ÿ
9
1

1
7
1

ÿ

ÿ


ÿ

3
#4
ÿ
1

ÿ #

4

6
ÿ 8 
7ÿ
ÿ00

ÿ6
7
ÿ

6
ÿ
2
ÿ
4
6
ÿ
75
3
1
4
ÿ
86

3
5
3
9
1
9
3
6
4 ÿ67
3
6
7 ÿ

ÿ

6ÿ
86
4

6ÿ
ÿ

1

6
7
ÿ
8
ÿ
7
74
6
ÿ 
+
4
ÿ47 1

6ÿ4
ÿ
86
4
1
ÿ
4
1
9
3
6
4
1

ÿ
1

ÿ
)*56ÿ
))()ÿ
5)ÿ00

0
1
ÿ
9
11
ÿ
-71ÿ
.6
86
#
/
41ÿ

ÿ
(1

1

$
6
ÿ
ÿ3

3
6ÿ
4
6
ÿ
3
5
3
9
1

6
ÿ7
63
1
 ÿ
1
,
1
4

6
4
1

1ÿ

ÿ6

6ÿ

1
77
6ÿ00

ÿ 
+
ÿ
7
83
4
1

1
ÿ
ÿ
1
9
7

6
1
ÿ

1
ÿ
,
1 ÿ
ÿ

1

6ÿ
9
1

1
7
1

ÿ

ÿ


ÿ

3
#4
ÿ
1

ÿ #

4

6
ÿ 8 
7ÿ
ÿ0



ÿ6
7
ÿ

6
ÿ
2
ÿ
4
6
ÿ
75
3
1
4
ÿ
86

3
5
3
9
1
9
3
6
4 ÿ67
3
6
7 ÿ

ÿ

6ÿ
86
4

6ÿ
ÿ

1

6
7
ÿ
8
ÿ
7
74
6
ÿ 
+
4
ÿ47 1

6ÿ4
ÿ
86
4
1
ÿ
4
1
9
3
6
4
1

ÿ
1

ÿ
)*56ÿ
))()ÿ
5)ÿ0



=?@AB?CD
ÿ
FD
BD
@
Gÿ HD
D
IJH
K
=L
M
N
O
PQP
IL
RL
S
T
D
UQV
WSL
V
X
YZS[
L
V
=PZUL
S
YZS[
L
V
?WL
]
L
O
^P
_ YZS[
L
V
FV̀
W[
[àU
b YZS[
L
V
?PO
c
F@Aÿ
J?dFD
G
=L
M
L
S
M
V
Pÿ
GWQL
O
=PZUL ?PO
ÿ
JV
WeL̀
O

80
88*) f
g
h
i
j
h
f
FV̀
W[
[àUÿ
Pÿ
kPlV
Wÿ
eWÿ
O
L
ÿ
JV
PRẀeL
e
%8
*6ÿ
)0

m
0
0
8
ÿ
!
0


ÿ
0


ÿ

ÿ
7
nÿ
%.8%(8
m6
80
)
ol`
[
L
[àU ?WL
]L
O
^P
(n8*8 ?pÿ
Hkdÿ
q
g
q
f
FWS
MÙP rV
WL
ÿ
sPPQt
UWL


6ÿ
)(
8u
6 vIYg
q
q
=L
M
L
S
M
V
Pÿ
pL
O
PVẁ
L
eP

]L
O
^Pÿ
@
PM
L
O x




9
y

]L
O
^Pÿ
z
W[
M
P x




9
y

]L
O
^Pÿ
d{
WUM
P x
0
8

1

$
6ÿ4
ÿ 6ÿ

ÿ
m(
)(ÿ
))
()ÿ
5)ÿ01
)
ÿ
1

1

$
6
ÿ
3
4

3
9
1

6
ÿ

1
ÿ3

6
ÿ
7
83
4
1

6
ÿ #
$
4
ÿ
7
6
9 6
ÿ
ÿ

11
9
34
ÿ
5
39
1

ÿ1
7
1
ÿ
ÿ
9
+

9


6
ÿ

3
8  
6
ÿ
7
7
3

6
7
3
1


ÿ
ÿ
1
9
7

6
ÿ
1
ÿ

1
ÿ
#
3
1
9
34

3
#4

ÿ

ÿ6
7
ÿ

1
4

6
ÿ
4
6
ÿ
9
6
7
7 6
4
ÿ
1
ÿ

4
1
ÿ

11
9
34
9
6
8 7
9
3
1

ÿ
ÿ

1
ÿ7
63
1


|
}~
rV
WL
S
ÿ
sPPQt
UWL
S
ÿ
?pÿ
Hkd
q
g
q
f
69



1
7
?PO
ÿ
JV
We`
LO

ÿ
1
0
9
7
!
9
1
7
9
9
y
9
9!
1ÿ
ÿ
ÿ
7
!
0
!

9
€

‚
1ÿ

1

1
ÿ
ƒÿ
6 4

7 
1ÿ
9
6
4

7
3
,


6
7
0
„
9
„1

ÿ
0ÿ
8 11ÿ




 „
„
†††
3
3

9

„
811
3
„
3
4
7
4
„
‡
„
9
6
4
4
3

6
„
3
4
4



8 
„
0
1
ÿ
3
1
4
1
ÿ
56
7
1
8
ÿ
9 
7
1
8
ÿ

7

ÿ
7
1

1

ÿ

7
ÿ
8


8
ÿ
ÿ
7




3
1
8

ÿ
4
64

7

1

7
8
ÿ
1

1


1

1
8
ÿ

ÿ
48
ÿ

1
8

6
7
68
ÿ





ÿ
7
8


ÿ

7

7
6

1

1
ÿ

7
ÿ
1
37
6

1
ÿ

1
ÿ

1
8
7
ÿ

7
ÿ

1
8
ÿ
3
1

1
8

6
1

ÿ

7

ÿ
!

ÿ

7


7
ÿ
1

ÿ
8
7 
ÿ
8
7 7
8

6
7
ÿ

7
ÿ



#

ÿ
46
ÿ
ÿ
$7
ÿ
ÿ
6
7


7
%
1

ÿ 



3
1
3

7
8
ÿ
48

7
6
6
7
8
ÿ

ÿ
8
ÿ 
8
ÿ

7
ÿ

1
6
ÿ

7
ÿ

7
6
6
7
ÿ
7
8



ÿ
7

4
6
7
8
1
8
ÿ
7

ÿ 
7

1
ÿ

1
3

1

ÿ
1

ÿ
!'()*+,ÿ
!'-'!.'ÿ
+'ÿ



#
/



0
1
0

2

ÿ

3


ÿ
4
// -1
4
1
8
ÿ
!

4


4
8
3
0
0
5556
/
8


/
3

01
4
1
8
0



7
6

7

0
7
0
3

7


0



7

/
4
 
0
Pag.1 de 1 19-03-2025 2705
##
19
/0
V
A
ZI
E-
X
R URBANO RURAL
localidad o loteo
Rol de Avalúo Nº
Observaciones
Folio:
Monto:
Fecha:
Pago Derechos
3214379
$3.402
19/03/2025
503-735
Nº Certificado
Fecha
Rol
CERTIFICADO DE NÚMERO
DIRECCIÓN DE OBRAS - MUNICIPALIDAD DE TALAGANTE
REGIÓN METROPOLITANA
2705
19/03/2025
El director de Obras Municipales que suscribe certifica que el predio ubicado en calle/camino
manzana
1-B
correspondiente
0
CAM MELIPILLA T57S (RUTA G-78)
al lote Nº Div. Predial Res. Nº 004 (13.02.2014)
Documento elaborado por Cristian Chateauneuf Mediano
503-735
LOCAL N°3
Le ha sido asignado el número: 7022 - Ex 7044
Este documento contiene una firma electrónica avanzada.
Verificar www.talagante.cl/firmasobra ID: l50ac-003mi
Pag.1 de 1 19-03-2025 2706
##
19
/0
V
A
ZI
E-
X
R URBANO RURAL
localidad o loteo
Rol de Avalúo Nº
Observaciones
Folio:
Monto:
Fecha:
Pago Derechos
3214382
$3.402
19/03/2025
503-735
Nº Certificado
Fecha
Rol
CERTIFICADO DE NÚMERO
DIRECCIÓN DE OBRAS - MUNICIPALIDAD DE TALAGANTE
REGIÓN METROPOLITANA
2706
19/03/2025
El director de Obras Municipales que suscribe certifica que el predio ubicado en calle/camino
manzana
1-B
correspondiente
0
CAM MELIPILLA T57S (RUTA G-78)
al lote Nº Div. Predial Res. Nº 004 (13.02.2014)
Documento elaborado por Cristian Chateauneuf Mediano
503-735
P LOCAL N°4
Le ha sido asignado el número: 7022 - Ex 7044
Este documento contiene una firma electrónica avanzada.
Verificar www.talagante.cl/firmasobra ID: l50gu-003mi
0
1
2
3
4
5
67
1
3
82
ÿ
7
ÿ
1





1
ÿ

7
4
4

3
84

7

1
ÿ
7
3
4
88

3
1





ÿ

#
ÿ
$
%
'
#
(

)
*
+

,

*

-
.

.
$
/
0
'
ÿ
1
.
2
0
1
.

3
45
ÿ
7
8
9
:
;

45
ÿ
=
5
9
7
8
?7
@A

5
ÿ
5
4B
ÿ
=
9
7
8
C
9
D

8
ÿ
8

F

8

B
9
;
7
A
G
ÿ
H
7
8
7
;
B
F
48
I7
9
;
JB
ÿ
B
48
I7
D
;

7
ÿ
=
9
7
8
C
9
D

8
ÿ
4K
9
;
7
A
ÿ
=
A
ÿ
D

8
8
;
D
48
;
4L
ÿ
5

5
M
?;

8

ÿ
8

9
M
8
8
;
8
ÿ
7
A
J8
?7
B
4ÿ
8

5
N4B
5
7
@A

ÿ
=
A
O
B
5
D
8
M
I
B
D
4ÿ
=
ÿ
HA
7
B
;
K
9
7
9
;
JB
P

8
8
;
D
48
;
7
A
G
ÿ
RB
ÿ

A
ÿ
9
7
5
4ÿ
=
A
ÿ
HA
7
B
ÿ
S
?M
A
7
=48
T4IM
B
7
A
ÿ
4ÿ
U

9
9
;
4B
7
A
ÿ
9
4B
5
M
A
D
7
8
ÿ
7
A
IM
B
;
9
;
N;
4ÿ
8

5
N
9
D
;

4G
ÿ
V;

B
D
8
7
5
WM

L
ÿ
N7
8
7
ÿ

A
ÿ
HA
7
B
ÿ
O
B
D

8
9
4IM
B
7
A
ÿ
4
V
D
8
4N4A
;
D
7
B
4ÿ
9
4B
5
M
A
D
7
8
ÿ
7
ÿ
A
7
U

8

I;
ÿ
=
ÿ
X;

;

B
=7
ÿ
Y
ÿ
Z8
@7
B
;
5
I4
9
48
8

5
N4B
=;

B
D

G
ÿ
H
M

=
ÿ
=
5
9
7
8
?7
8
ÿ
A
4
5
ÿ
7
8
9
:
;

4
5
U
:
7
N
ÿ
[]
^
P
RSSO
P
_SO
_
ÿ
`
a
ÿc
d
e
f
g
h
ÿi
d
ÿjd
k
l
m
n
m
o
f
k
a
h
a
ÿp
d
q
r
f
s
a
ÿ
d
h
ÿ
o
a
ÿ
t
m
h
a
ÿ
s
d
h
k
l
a
o
ÿ
i
d
o
ÿ
n
a
u
p
ÿ
v
n
m
p
d
d
ÿq
h
a
ÿp
q
n
d
l
w
s
f
d
ÿk
m
k
a
o
ÿi
d
x
y
z
{
|
}
~

|
ÿ
€
‚
z
ƒi
f
h
f
p
k
l
a
„
a
d
h
k
d
ÿ
d
p
k
†
f
h
k
d
e
l
a
i
a
ÿ
n
m
l
ÿ
‡
ÿ
n
l
m
f
h
s
f
a
p
ÿ
v
ÿ
y

s
m
q
h
a
p
z
ÿ
`
a
ÿ
s
a
n
f
k
a
o
ÿ
l
d
e
f
m
h
a
o
ÿ
d
p
ˆ
a
h
„
a
e
m
~
ÿ‰
q
d
ÿk
a
r
f
Š
h
ÿd
p
ÿo
a
s
a
n
f
k
a
o
ÿ
i
d
o
ÿ
n
a
u
p
z
ÿ
`
a
ÿ
l
d
e
f
g
h
ÿ
„
d
h
d
ÿ
q
h
a
ÿ
n
m
r
o
a
s
f
g
h
ÿ
i
d
‹
z
x
x

z
Œ
|
Œ
ÿ

a
r
f
k
a
h
k
d
p
ÿ
v
ÿ
p
q
ÿ
n
l
f
h
s
f
n
a
o
s
d
h
k
l
m
ÿ
q
l
r
a
h
m
ÿ
d
p
ÿ
o
a
ÿ
s
m
h
q
l
r
a
s
f
g
h
i
d
h
m
f
h
a
i
a
ÿ
Žl
a
h
ÿ
ˆ
a
h
„
a
e
m
~
s
m
n
q
d
p
k
a
ÿ
n
m
l
ÿ
o
a
p
ÿ
s
m
q
h
a
p
ÿ
i
d
ÿ
o
a
n
l
m
f
h
s
f
a
ÿ
i
d
ÿ
ˆ
a
h
„
a
e
m
~
ÿ
a
i
d
†
p
ÿ
i
d
o
a
p
ÿ
s
m
q
h
a
p
ÿ
i
d
ÿ

q
d
h
k
d
ÿ
ƒo
k
m
~
ÿ
ˆ
a
h
‘
’
‘
“
ÿ
•
ÿ
––—ÿ
˜
ÿ
™
š
“
š
›œ
ÿ
š
ÿ
ž
œ
Ÿ
œ
š
‘
ÿ
¡
ÿ
—“
¢‘
œ
£
›¤
ÿ
š
ÿ
¥
‘
ÿ
¦
š
§œ
¨
ÿ
š
©
“
¤
ª¤
¥
œ
©
‘
‘
ÿ
«
ÿ
¬š
©
“
¤
ÿ
š
ÿ
­
£
©
®
œ
¤
£
ÿ
š
ÿ
¬œ
®
‘
ÿ
¡
ÿ̄š
“
“
œ
©
¤
“
œ
¤
ÿ
•
ÿ
­
£
“
œ
°
ÿ̄¤
›¯
¤
›°
ÿ
±‘
“
›œ
°
ÿ
²
¤
®
“
£
³®
‘
“
š
°
ÿ
­
¯
´
˜
µ¶·
¸
¹
º»
¼
»
½ÿ
¿À
ÿ
Á
Â
¼
Ã
Ä
»
ÅÃ
Æ
Ç
È»
É
¼
¹
ʹ
Ë
Ã
É
Ì
Ç
Ì
͹
ÎÏ
Ç
Ì
Ð
Ì
Ë
Ì
ÅÌ
Ç
É
»
Ñ
¹
Ç
Ì
Ñ
Ò
Á
Ó
Ô
ÕÂ
¹
ÿ
Ê»
¼
ÎÃ
É
Ã
½¹
Á
ÖÏ
Ã
ÊÌ
ÎÃ
»
Ç
É
¹
ÿ
×
Ã
»
Ç
É
Ø
Ù
×
¹
Ú
×
¹
λ
¼
×
Ã
¹
Ú
ÿ
½»
ʹ
¼
É
»
Ú
»
½Ï
×
Ì
×
Ã
Æ
Ç
Ú
ÿ
Â
Ì
Ë
Ï
½Ú
Â
»
ÅÏ
¼
Ã
½Ì
½Ú
ÿ
Â
»
¼
Û
Ã
×
Ã
¹
Â
Ú
ÿ
Â
¹
×
Ã
Ì
Ë
Ü
Ì
×
É
Ã
Û
Ã
½Ì
½ÿ
ʼ
¹
½Ï
×
É
Ã
Û
Ì
ι
Ë
»
Â
É
Ì
Â
Ü
ÿ
Ý
¼
»
Ì
ÿ
Û
»
¼
½»
ÿ
À
»
Â
ÊÌ
×
Ã
¹
ÿ
ÊÞ
¿Ë
Ã
×
¹
ß
ÕÂ
¹
ÿ
ʼ
¹
à
Ã
¿Ã
½¹
Ä
»
Û
Ã
Â
Ì
¼
ÿ
¹
¼
½»
Ç
Ì
Ç
á
Ì
ÿ
Ë
¹
×
Ì
Ë
âãä
Á
ÍÐ
Ò
å
æ
ç
ç
è
âÍ
â¼
Ã
»
Ç
É
»
ÿ
Ó
ÿ
é
Ï
¼
êâÈ
Ñ
Ò
Á
Ó
Ô
ÿ
Ñ
¹
Ç
Ì
ÿ
Ò
Ç
½Ï
Â
É
¼
Ã
Ì
Ë
ÿ
Ô
ȹ
Ë
»
Â
É
Ì
¸
ë
åâ
ì
í
î
ì
ï
î
Ô
ì
æ
æ
êë
åâÍ
ð
Ô
Ô
ñ
Ð
ë
åâ
å»
×
¼
»
É
¹
âãé
é
à
Ì
Ê»
ë
ë
ò¼
»
Ì
ÿ
ç
ì
Ô
æ
ç
ó
ß
ì
í
ï
í
ñ
æ
ç
æ
í
æ
é
à
Ì
Ê»
ë
ë
è
»
Ç
ÅÉ
à
ÿ
ñ
Ô
í
ô
ß
æ
ô
ì
ï
ç
ç
ñ
ñ
ñ
í
ó
Ô
ô
õ
ÿ
÷ø
ÿ
ù
úû
ø
ü
û
ý
ü
þ
ý
ÿ
0
1
2
3
2
0
4
5
ÿ
7
8
1
7
ÿ
9
ÿ



ÿ





ÿ


ÿ




9










9

8
2
2







2

9
9

2




!





2
1
!

#

$

!



1


#
%


3
$
'

#
'


$



$
2
$
0
1
2
3
4
5
6
7
ÿ
9ÿ ÿ

ÿ
9

ÿ7


ÿ

5

2
1


6
ÿ
9
ÿ

7
6


2

ÿ
ÿ
ÿ
ÿ
ÿ
ÿ
ÿ
ÿ
ÿ 








ÿ

!
ÿ

#
$# %

'
ÿ
()
*
+

ÿ
,
ÿ
-
.
/

0
1
ÿ

2
2
3
ÿ
4
54
67
8ÿ


,
4
64
,


3

ÿ
9:6;
(;

=%
;
-=-ÿ
-4
ÿ
7
=%
==67
4
ÿ
,
ÿ
?*
@
+
*
1
0

.
A
ÿ
B

+
ÿ
(1
C
D
/

E
1
ÿ
6A
.
*
1
C
A
+
)
0
0

E

FFF#
@
.
C
#
.
+

+

'
.
)
*
+


C
A
G

D
A
/
H
*
B
61
/
$A
I
3

!

!
3
J
K*
B

A
/
0

I
2


J

2

K*
B
L
/
E
*
1
C
I


3
J
,


,

M 3

3
CVE 1254796 | Director: Carlos Orellana Céspedes
Sitio Web: www.diarioficial.cl
| Mesa Central: +562 2486 3600 Email: consultas@diarioficial.cl
Dirección: Dr. Torres Boonen N°511, Providencia, Santiago, Chile.
Este documento ha sido firmado electrónicamente de acuerdo con la ley N°19.799 e incluye sellado de tiempo y firma electrónica
avanzada. Para verificar la autenticidad de una representación impresa del mismo, ingrese este código en el sitio web www.diarioficial.cl
DIARIO OFICIAL
DE LA REPUBLICA DE CHILE
Ministerio del Interior y Seguridad Pública
V
SECCIÓN
CONSTITUCIONES, MODIFICACIONES Y DISOLUCIONES DE SOCIEDADES Y COOPERATIVAS
Núm. 41.831 | Jueves 10 de Agosto de 2017 | Página 1 de 1
Empresas y Cooperativas
CVE 1254796
EXTRACTO
MARÍA EUGENIA LE-BERT ACHERITOGARAY, Notario Público Titular de Talagante,
con oficio en Bernardo O’Higgins N° 1360, certifica: Por escritura hoy, ante mí, TATIANA
DEL PILAR CÁCERES DONOSO, C.I. 14.343.353-6 y sociedad INVERSIONES E
INMOBILIARIA EL OLIVETO LIMITADA, R.U.T. 76.392.786-5, representada por MANUEL
GUMUCIO GUMUCIO, C.I. 6.053.135-8; todos domiciliados en Camino Melipilla Nº 7022, ex
Nº 7044, Talagante; constituyen sociedad comercial de responsabilidad limitada, OBJETO: a) La
compra, venta, arrendamiento, uso, goce, administración y explotación de bienes raíces. b)
Inversiones en todo tipo de activos mobiliarios o inmobiliarias y en general, en cualquiera de las
actividades de servicios o productivas. c) Toda otra actividad o giro que determinen los socios.
RAZÓN SOCIAL: INVERSIONES E INMOBILIARIA LONQUEN SUR LIMITADA ,
pudiendo usar para fines comerciales y ante cualesquiera personas jurídicas y naturales, incluso
ante bancos el nombre de fantasía: LONSUR LTDA. ADMINISTRACIÓN Y USO RAZÓN
SOCIAL: Manuel Gumucio Gumucio, amplias facultades. CAPITAL SOCIAL: $400.000.000,
que socios suscriben y aportan siguiente forma: INVERSIONES E INMOBILIARIA EL
OLIVETO LIMITADA aporta $361.564.910, mediante aporte en dominio de bienes raíces,
descritos en escritura extractada; y Tatiana del Pilar Cáceres Donoso, aporta $38.435.090, en
dinero efectivo, ingresado a arcas sociales. DURACIÓN: 5 años, renovables tácita y
sucesivamente por períodos iguales, si ninguno de los socios manifestare voluntad de ponerle
término en forma estipulada en escritura. DOMICILIO: Talagante, sin perjuicio de agencias o
sucursales que pueda establecer dentro del país o en el extranjero.- Demás estipulaciones
escritura extractada. Talagante, 01 de Agosto de 2017.
DECLARACIÓN ARQUITECTO PROYECTISTA
ARTÍCULO 144 LGUC / ARTÍCULO 5.2.6 OGUC.
Yo, JUAN LUIS MENARES RODRÍGUEZ, RUT N° 15.069.551-1, arquitecto de la obra ubicada en
CAM MELIPILLA T57S (RUTA G-78) # 7022, de la comuna de TALAGANTE, que cuenta con el
Permiso de obra nueva PON 224 / 2018 y resolución modificatoria POM 330 / 2019, declaro que
esta obra, en contexto de PERMISO DE OBRA MENOR SIN ALTERACIÓN DE ESTRUCTURA, fue
intervenida en conformidad al permiso antes señalado, a sus Especificaciones Técnicas, a las
normas de la Ley General de Urbanismo y Construcciones, la Ordenanza homónima y que no se
ha modificado la calidad de la construcción contemplada en dicho permiso.
En Talagante, a fecha de hoy 20 de marzo de 2025 firma:
__________________________________
JUAN LUIS MENARES RODRÍGUEZ
RUT 15.069.551-1
ARQUITECTO PATROCINANTE
ESPECIFICACIONES TÉCNICAS RESUMIDAS
TIPO DE SOLICITUD: SOLICITUD DE PERMISO DE OBRA MENOR, SIN ALTERAR ESTRUCTURA
1 - DIRECCIÓN DE LA PROPIEDAD
MANZANA LOTE LOTEO O LOCALIDAD PLANO DE LOTEO Nº
2 DATOS DEL PROPIETARIO
*** 1-B Div. Predial Res. Nº 004 (13.02.2014) ***
COMUNA ROLSII
TALAGANTE 503-735
1.- DIRECCIÓN DE LA PROPIEDAD
CAM MELIPILLA T57S (RUTA G-78)
CALLE o CAMINO NUMERO
7022
2.- DATOS DEL PROPIETARIO
NOMBRE O RAZÓN SOCIAL R.U.T. FIRMA DEL PROPIETARIO
PERSONA NATURAL O REP. LEGAL
REPRESENTANTE LEGAL R.U.T.
MANUEL GUMUCIO GUMUCIO 6.053.135-8
INVERSIONES E INMOBILIARIA LONQUÉN SUR LTDA 76.772.329-6
3 ARQUITECTO PROYECTISTA
FIRMA
NOMBRE ARQUITECTO PROYECTISTA R.U.T.
JUAN LUIS MENARES RODRIGUEZ 15.069.551-1
15.069.551-1
JUAN LUIS MENARES RODRIGUEZ
NOMBRE O RAZÓN SOCIAL DE LA EMPRESA (cuando corresponda) R.U.T.
DIEGO PORTALES 1275 LA LIGUA
COMUNA
DIRECCIÓN / CALLE / PASAJE Nº
3.- ARQUITECTO PROYECTISTA
PATENTE PROFESIONAL N°
PRO 207
DIEGO PORTALES 1275 LA LIGUA
4.- ESPECIFICACIONES TECNICAS RESUMIDAS
VIGA DE FUNDACIÓN PREEXISTENTE, EN HORMIGÓN ARMADO BAJO TABIQUE, SEGÚN PERMISO ORIGINAL.
FUNDACIONES
ESTRUCTURA DE MUROS
PRO 207
ESTRUCTURA DE PISOS
CARPINTERÍA DE MADERA EN TABIQUE, SEGÚN PERMISO ORIGINAL.
NO INTERVENIDOS
ESTRUCTURA DE MUROS
ESTRUCTURA CIERRE PERIMETRAL
NO INTERVENIDA
ESTRUCTURA DE TECHUMBRE
NO INTERVENIDA
NO INTERVENIDA
NO INTERVENIDOS
REVESTIMIENTOS EXTERIORES
CUBIERTA
REVESTIMIENTOS INTERIORES
PLANCHA YESO, SEGÚN PERMISO ORIGINAL.
CERÁMICOS SOBRE PLANCHA DE FIBROCEMENTO, SEGÚN PERMISO ORIGINAL.
NO INTERVENIDOS
REVESTIMIENTOS INTERIORES BAÑO/ COCINA
CIELOS
AISLACIÓN EN TECHUMBRE
AISLACIÓN EN MUROS
NO INTERVENIDA
POLIESTIRENO EXPANDIDO, SEGÚN PERMISO ORIGINAL.
NO INTERVENIDAS
PUERTAS
PAVIMENTOS
NO INTERVENIDOS
RED DE AGUA POTABLE
VENTANAS
NO INTERVENIDAS
NO INTERVENIDA
RED ALCANTARILLADO
INSTALACION AGUA POTABLE
NO INTERVENIDA
NO INTERVENIDA
INSTALACION SANITARIA
NO INTERVENIDA
NO INTERVENIDA
RED ELECTRICA
NO INTERVENIDA
INSTALACIÓN ELECTRICA
NO INTERVENIDA
RED DE GAS
NO INTERVENIDA
OBRAS EXTERIORES
INSTALACIÓN DE GAS
NO TIENE.
NO APLICA
TERMINACIÓN EXTERIOR
TERMINACIÓN CUBIERTA
NO APLICA
LATEX AL AGUA
NO APLICA
TERMINACIÓN PAVIMENTOS
TERMINACIÓN INTERIOR
F-120: NO APLICA F-60: NO APLICA
F-30: TABIQUE
MADERA
RESISTENCIA AL FUEGO
MUROS DIVISORIOS
UNIDADES
F-60: NO APLICA
MUROS CAJA
ASCENSORES
F-60: NO APLICA
MUROS CORTAFUEGO
MUROS ZONA
VERTICAL
ELEMENTOS SOPORTE
VERTICAL
F-15: NO APLICA
TABIQUES Y MUROS NO
SOPORTANTES
ESCALERAS TECHUMBRE
F-15: APLICA
ELEMENTOS SOPORTE
HORIZONTAL
F-30: CARPINTERÍA
MADERA
CIELO FALSO
O O
MUROS DE CONTENCIÓN
S/R: TABIQUERÍA
MADERA
S/R: NO APLICA
VENTILACIÓN FORZADA
NO INTERVENIDO
PORCENTAJE VIDRIADO
NO INTERVENIDA
NO APLICA
AGUAS LLUVIAS
NO INTERVENIDA
RAMPAS ACCESIBILIDAD
NO INTERVENIDAS
SOLUCIONES RESISTENCIA AL FUEGO
F-30 ELEMENTOS
SOPORTE VERTICAL
F-120 MURO CORTAFUEGO
F-60 MUROS ZONA
VERTICAL
F-60 MUROS CAJA
ASCENSORES
F-60 MUROS DIVISORIOS
UNIDADES
PASAMANOS ACCESIBILIDAD
NO INTERVENIDOS
A.2.3.30.06 NO APLICA A.2.3.30.06 NO APLICA NO APLICA
NO APLICA NO APLICA NO APLICA NO APLICA A.2.3.30.06
SOPORTE VERTICAL
F-30 TABIQUES Y NO
SOPORTANTES
F-30 ESCALERAS
F-30 ELEMENTOS SOPORTE
HORIZONTAL
F-15 TECHUMBRE F-15 CIELO FALSO
VERTICAL ASCENSORES UNIDADES
Elemento R100
Rt
U Materiales aislantes Código material
SOLUCIONES ACONDICIONAMIENTO TÉRMICO
Tabiques 0.60 1.67 141 Poliestireno expandido 5.00cm (tabiques) 1.2.M.C24.5
141
98
Poliestireno expandido 5.00cm (cielos)
Poliestireno expandido 10 kg/m³
1.1.M.A1.2
R100/PE.2.1
Techumbre
Pisos
0.60
0.87
1.67
1.15
NOTA: ANTE DISCREPANCIAS PRIMA LO SEÑALADO EN LAS EETT DEL PERMISO ORIGINAL Y SUS RESOLUCIONES
MODIFICATORIAS
MEMORIA EXPLICATIVA DEL PERMISO DE OBRA MENOR SOLICITADO
1.- CONTEXTO
El expediente busca solicitar autorización para desmontar uno de los tabiques (no estructurales)
en stripcenter anexo a lubricentro, en la zona nororiente de la comuna de Talagante –sector ZIE 2
del PRC comunal- área próxima a Peñaflor, por camino viejo a Santiago.
Figura 1: Izquierda, imagen satelital del local; derecha, tabique desmontado.
2.- FUNDAMENTO
Durante visita inspectora de la municipalidad de Talagante, al local #4 del establecimiento ubicado
en Camino a Melipilla T57S #7022, los profesionales notaron la ausencia de uno de los tabiques
informados en el permiso de obras que forma parte del legajo de documentos del
establecimiento (en poder del archivo DOM).
Es por ello que solicitaron en comunicaciones al propietario lo siguiente:
- Presentar permiso de obra menor.
- Informar a la dirección de obras de la remoción del tabique.
- Solicitar de manera el permiso para la remoción del elemento no estructural; a fin de
conservar la patente definitiva del local 4 –hoy a la espera de ingreso en la DOM-.
3.- CONCLUSIONES
Considerando que el edificio cuenta con permiso de obras y recepción existente; se considera
como remediación a la situación anterior, extender permiso de obra menor, constituido por la
presentación del tabique a remover, sin afectar la estructura primaria de las obras consideradas
en el permiso original del establecimiento.
Figura 2: plan maestro del permiso original
4.- ALCANCES
La ejecución del proyecto se sujetará a las condiciones del permiso y recepción original, no
considerando en caso alguno, la generación de nuevos espacios y geometrías en planta. Se trata
netamente de la remoción de un elemento –tabique no estructural desmontado sin autorización
municipal-.
Figura 3: Captura recepción definitiva
De existir discrepancias entre las especificaciones resumidas de esta presentación y las del
permiso original, primará lo informado en el expediente 447/2019 de la dirección de obras
municipales de Talagante. Se entrega el presente expediente en el contexto de regularización.
JUAN LUIS MENARES RODRÍGUEZ
ARQUITECTO
Arquitecto Conchalí - El Monte - Independencia
Arquitecto Conchalí - El Monte - Independencia
Arquitecto Conchalí - El Monte - Independencia
Arquitecto Conchalí - El Monte - Independencia
Arquitecto Conchalí - El Monte - Independencia
Arquitecto Conchalí - El Monte - Independencia
Arquitecto Conchalí - El Monte - Independencia
Arquitecto Conchalí - El Monte - Independencia

Arquitecto Conchalí - El Monte - Independencia

  • 2.
    LISTADO DE DOCUMENTOS: 1.LISTADO DE DOCUMENTOS 2. OFICIO CONDUCTOR 3. FORMULARIO ÚNICO NACIONAL MINVU 4. PATENTE PROFESIONAL ACTUANTE 5. ANTECEDENTES REPRESENTANTE LEGAL 6. CERTIFICADOS DE ZONIFICACIÓN 7. DECLARACIÓN SIMPLE DEL ARQUITECTO 8. MEMORIA DESCRIPTIVA DE LAS MODIFICACIONES 9. EETT RESUMIDAS 10. PLANOS NUMERADOS JUAN LUIS MENARES RODRÍGUEZ INVERSIONES E INMOBILIARIA LONQUÉN SUR LTDA ARQUITECTO MANUEL GUMUCIO GUMUCIO REP. LEGAL PROPIETARIO Calera de Tango, marzo de 2025
  • 3.
    SOLICITUD DE PERMISODE OBRA MENOR -SIN ALTERAR ESTRUCTURA- ANT: Visita fiscalizadores DOM. MAT: Rectificación de obras que expone. A: ANAMARÍA BERTUCCI ARANDA Directora de Obras de Talagante DE: MANUEL GUMUCIO GUMUCIO Rep. Legal Propietario JUAN LUIS MENARES RODRIGUEZ Arquitecto patrocinante Estimada Srta. ANAMARÍA BERTUCCI ARANDA Directora de Obras Ilustre Municipalidad de Talagante Agradeciendo de antemano su tiempo y en razón a recientes fiscalizaciones de obra en local #4 de "Strip center" ubicado en Camino Melipilla T57S (ruta G-78) # 7022, comuna de Talagante, propiedad rol 503-735; se solicita ingresar a trámite expediente de arquitectura adjunto por razones que se expone: CONSIDERANDO 1. El art 5.1.2 de la OGUC, que libera de permiso las reparaciones, divisiones interiores y obras no estructurales en general. 2. el decreto específico ddu 474 inciso c, que obliga a informar en planos aquellas acciones exentas según art 5.1.2 OGUC. 3. Que el local 4 cuenta con permiso de obras y recepción con destino comercial. 4. Que dentro del local se ha realizado desmonte parcial de tabique no estructural (del tipo división interior). 5. Que luego de la visita, los inspectores municipales, de la dirección de obras de Talagante, han requerido informar la remoción de tabique no estructural, a fin de conservar la patente comercial. SE SOLICITA Ingreso a trámite de solicitud de permiso de obra menor sin alterar estructura y sin considerar adición de metros cuadrados (simplemente tratándose de la remoción de tabique no estructural). NOTA: Se fotos de la división interior desmontada en el documento denominado “memoria explicativa” para mejor resolver. Sin otro particular y agradeciendo nuevamente su amable disposición, le saludan cordialmente JUAN LUIS MENARES RODRÍGUEZ INVERSIONES E INMOBILIARIA LONQUÉN SUR LTDA ARQUITECTO MANUEL GUMUCIO GUMUCIO REP. LEGAL PROPIETARIO Calera de Tango, marzo de 2025
  • 4.
    DECLARA BAJO SURESPONSABILIDAD QUE SE ENCUENTRA INSCRITO A FOJAS Nº SI NO DE FECHA ANTE EL NOTARIO SR (A) SOLICITUD DE PERMISO DE OBRA MENOR AMPLIACION MENOR A 100 M2 MODIFICACION ART. 6.2.9. O.G.U.C. sin alterar estructura DIRECCION DE OBRAS - I. MUNICIPALIDAD DE : NUMERO SOLICITUD DE FECHA Fecha de Ingreso * A LLENAR POR LA LA D.O.M. URBANO 1.- DIRECCION DE LA PROPIEDAD RURAL CERTIFICADO DE INFORMACIONES PREVIAS NÚMERO CALLE o CAMINO NUMERO ROLSII MANZANA LOTE LOTEO O LOCALIDAD PLANO DE LOTEO Nº 2.- DECLARACIÓN JURADA CÉDULA DE NOMBRE IDENTIDAD Nº SER PROPIETARIO (O REPRESENTANTE LEGAL DEL PROPIETARIO) DEL BIEN RAIZ UBICADO EN CALLE/ /AVENIDA/CAMINO NUMERO: ROL DE AVALUO Nº DE LA COMUNA DE AÑO DEL REGISTRO DE PROPIEDAD DEL CONSERVADOR DE BIENES RAÍCES DE EN EL CUAL SE EMPLAZA EL PROYECTO PARA EL QUE SE PRESENTA ESTA SOLICITUD. ADJUNTA PLANO TOPOGRÁFICO(*)Art. 1.4.8. OGUC : DENOMINADO: ELABORADO POR : DE PROFESIÓN: NOTA: DE EXISTIR DOS O MÁS PROPIETARIOS, Y/O DOS O MÁS BIENES RAÍCES SE DEBERÁ ACOMPAÑAR HOJA ADJUNTA CON LOS DATOS Y FIRMAS CORRESPONDIENTE (*) SOLO EN LA EVENTUALIDAD QUE SE ACOMPAÑE DICHO PLANO. 3.- DATOS DEL PROPIETARIO NOMBRE O RAZÓN SOCIAL R.U.T. FIRMA DEL PROPIETARIO PERSONA NATURAL O REPRESENTANTE LEGAL REPRESENTANTE LEGAL R.U.T. DIRECCIÓN / CALLE / PASAJE Nº COMUNA E-MAIL TELEFONO FAX PERSONERIA DEL REPRESENTANTE LEGAL SE ACREDITA MEDIANTE Y REDUCIDA A ESCRITURA PUBLICA CON FECHA 4.- ARQUITECTO PROYECTISTA NOMBRE O RAZÓN SOCIAL DE LA EMPRESA (cuando corresponda) R.U.T. FIRMA NOMBRE ARQUITECTO PROYECTISTA R.U.T. DIRECCIÓN / CALLE / PASAJE Nº COMUNA E-MAIL TELEFONO FAX PATENTE PROFESIONAL N° FORMULARIO 1.1 (S.O.M. - 5.1.4./6.2.9.) 1/3 ✔ ✔ ✔ TALAGANTE METROPOLITANA DE SANTIAGO 2706 19-Mar-25 CAM MELIPILLA T57S (RUTA G-78) 7022 503-735 *** 1-B Div. Predial Res. Nº 004 (13.02.2014) *** INVERSIONES E INMOBILIARIA LONQUÉN SUR LTDA 76.772.329-6 CAM MELIPILLA T57S (RUTA G-78) 7022 503-735 TALAGANTE 2509 2364 2017 TALAGANTE INVERSIONES E INMOBILIARIA LONQUÉN SUR LTDA 76.772.329-6 MANUEL GUMUCIO GUMUCIO 6.053.135-8 CAM MELIPILLA T57S (RUTA G-78) 7022 TALAGANTE fullmarket.carampangue@gmail.com +56 9 8776 3173 +56 9 8776 3173 INSCRIPCIÓN DE SOCIEDAD 01-Aug-17 01-Aug-17 DIARIO OFICIAL DE LA REPÚBLICA DE CHILE JUAN LUIS MENARES RODRÍGUEZ 15.069.551-1 JUAN LUIS MENARES RODRÍGUEZ 15.069.551-1 DIEGO PORTALES 1275 LA LIGUA JUAN.MENARES@UG.UCHILE.CL +56941055309 +56941055309 PRO 207 REGIÓN
  • 5.
    N° SI NO 8.- años. DOM DOM 5.-REVISOR INDEPENDIENTE CUENTA CON INFORME FAVORABLE REVISOR INDEPENDIENTE SI NO Fecha NOMBRE REVISOR INDEPENDIENTE R.U.T. E-MAIL TELEFONO / FAX CATEGORIA REGISTRO 6.- ANTECEDENTES DE PERMISOS Y RECEPCIONES ANTERIORES PERMISO PRIMITIVO N° FECHA SUPERFICIE m2 MODIFICACIONES Y AMPLIACIONES N° FECHA SUPERFICIE m2 RECEPCIÓN N° FECHA SUPERFICIE m2 7.- CARACTERÍSTICAS DEL PROYECTO (PARA PROYECTOS DE EDIFICACIÓN) DESTINO PRINCIPAL DE LA EDIFICACIÓN SUP. TOTAL EXISTENTE SUP. TOTAL PROYECTADA N° PISOS SOBRE N.N.T. PROYECTADO OCUPADO OCUPADO SUPERFICIE TOTAL TERRENO COEF. CONSTRUCTIBILIDAD COEF. DE OCUPACION DE SUELO AUTORIZACIONES ESPECIALES Art. 121 LGUC Art.122 LGUC Art.123 LGUC Art.124 LGUC Ley 19.537 Otro PROYECTADO EDIFICIOS DE USO PÚBLICO SI NO EDIFICIO DECLARADO MONUMENTO NACIONAL O SEÑALADO COMO INMUEBLE O ZONA DE CONSERVACIÓN HISTÓRICA POR EL IPT. PLAZO SOLICITADO (EN CASO DE ARTÍCULOS 121, 122, 123 ó 124 DE LA LGUC) Se solicita que el permiso tenga una vigencia de 9.- ANTECEDENTES QUE SE ADJUNTAN (ART. 5.1.4./1.4.2./1.2.1. O.G.U.C.) Fotocopia Certificado de Informaciones Previas vigente Fotocopia de Patente al día del o los Profesional (es)Competente(s). Declaración Simple del Profesional Competente, según corresponda Croquis de ubicación o croquis de emplazamiento, a escala. Informe del Revisor Independiente ( si concurre ) Plano a escala y cuadro de superficie, cuando corresponda. Certificado de inscripción Revisor Independiente, cuando corresponda. Especificaciones Técnicas resumidas, cuando corresponda. DEBERÁ ACOMPAÑARSE AL MOMENTO DE LA SOLICITUD, UNA COPIA DE LOS DOCUMENTOS Y PLANOS. UNA VEZ AUTORIZADO EL PAGO DE DERECHOS DEBERÁ ACOMPAÑARSE UNA SEGUNDA COPIA DE LOS DOCUMENTOS Y PLANOS 10.- MONTO A CONSIGNAR AL INGRESO ( A LLENAR POR LA D.O.M.) PRESUPUESTO DE LA OBRA $ Monto Total Derechos Municipales $ PORCENTAJE A CONSIGNAR % Monto $ GIRO INGRESO MUNICIPAL N° De Fecha NOMBRE O RAZÓN SOCIAL DE LA EMPRESA CONSTRUCTORA * R.U.T. FIRMA NOMBRE DEL CONSTRUCTOR * R.U.T. DIRECCIÓN / CALLE / PASAJE Nº COMUNA E-MAIL TELEFONO FAX PATENTE PROFESIONAL N° * Profesional que podrá individualizarse hasta antes del inicio de las obras. FORMULARIO 1.1 (S.O.M. - 5.1.4./6.2.9.) 2/3 ✔ ✔ ✔ ✔ ✔ ✔ ✔ ✔ ✔ ✔ JUAN LUIS MENARES RODRÍGUEZ 15069551-1 JUAN LUIS MENARES RODRÍGUEZ 15069551-1 DIEGO PORTALES 1275 LA LIGUA JUAN.MENARES@UG.UCHILE.CL +56941055309 +56941055309 PRO 207 OBRA NUEVA 224 / 2018 28-Aug-2018 527.45 MODIFICACIÓN DE PROYECTO 330 / 2019 23-Oct-2019 510.17 -se restó 17.28 m2- COMERCIO 510.17 510.17 1 3570 M2 90% 14.29% 14.29% 50% 14.29% 14.29%
  • 6.
    NOTA ( PARASITUACIONES ESPECIALES ) COMPROBANTE DE INGRESO S.O.M.-5.1.4./6.2.9. MONTO CONSIGNADO AL INGRESO $ GIM Nº FECHA CALLE o CAMINO NÚMERO NUMERO SOLICITUD NOMBRE Y FIRMA FUNCIONARIO DOM TIMBRE D.O.M. DIRECCION DE OBRAS - I. MUNICIPALIDAD DE : Fecha de Ingreso FORMULARIO 1.1 (S.O.M. - 5.1.4./6.2.9.) 3/3 IMPRIMIR SE ACOGE A DDU 474 inciso C, SE INFORMA ACCIONES EXENTAS SEGÚN ART 5.1.2 OGUC TALAGANTE CAM MELIPILLA T57S (RUTA G-78) 7022
  • 8.
    0 1 ÿ 3 4 5 6 7 81 9 34 ÿ 1 9 3 1 ÿ 9 6 4 4 3 1 ÿ ÿ6 6 ÿ 7574 9 3 1 4 5 6 7 81 9 34 ÿ1 9 3 1 ÿ 1 81 94 1 1 ÿ4 ÿ ÿ ÿ7 6 9 9 34 ÿ ÿ 6 ÿ ÿ 7 ÿ ! ÿ 7 ÿ ÿ 7 ÿ # $ 4 ÿ 9 6 7 7 6 4 1 %11 ÿ 9 6 7 3 1 ÿ ÿ ' 83 ÿ ÿ7 63 1 ÿ 7 7 1 ÿ 5 ÿ #47 1 1 ÿ6 7 ÿ % ()* ÿ 1 ÿ1 7 3 7 ÿ ÿ 6ÿ 1 4 6ÿ 1 4 + 6 # 6ÿ ÿ ÿ6 , 7ÿ 3 8+ #4 ÿ1 3 1 6 7 6 7 79 3 5 3 9 1 1 0 1 ÿ 9 11 ÿ -71ÿ .6 86 # / 41ÿ ÿ (1 1 $ 6 ÿ *)ÿ01 ÿ + ÿ 7 83 4 1 1 ÿ ÿ 1 9 7 6 ÿ 1 ÿ 1 ÿ , 1 ÿ ÿ 1 6ÿ 9 1 1 7 1 ÿ ÿ ÿ 3 #4 ÿ 1 ÿ # 4 6 ÿ 8 7 ÿ0 ÿ6 7 ÿ 6 ÿ 2 ÿ 4 6 ÿ 75 3 1 4 ÿ 86 3 5 3 9 1 9 3 6 4 ÿ67 3 6 7 ÿ ÿ 6ÿ 86 4 6ÿ ÿ 1 6 7 ÿ 8ÿ ÿ 7 74 6 ÿ + 4 ÿ47 1 6ÿ4 ÿ 86 4 1 ÿ 4 1 9 3 6 4 1 ÿ 1 ÿ )*56 ))()ÿ 5)ÿ0 0 1 ÿ 9 11 ÿ %6 8 4 1 7 9 6 7 ÿ ÿ (1 1 $ 6 ÿ 8# 7 ' 9 6 1 ÿ0 ÿ 7 83 4 1 ÿ 6ÿ 1 6 7 ÿ ÿ 7 74 6 ÿ6 7 ÿ 9 1 ÿ ÿ 6 ÿ4 ÿ 86 4 1 ÿ 4 1 9 3 6 4 1 ÿ6 7 ÿ 9 + 71 47 1 6ÿ4 ÿ 86 4 1 ÿ 4 1 9 3 6 4 1 ÿ 1 ÿ )*56ÿ ))()ÿ 5)ÿ09 0 1ÿ 9 11ÿ ÿ -71ÿ .6 86 # / 41ÿ ÿ ÿ 1 6 7 ÿ ÿ 8ÿ ÿ 7 74 6 ÿ :4 ÿ 86 4 1 ÿ 4 1 9 3 6 4 1 ÿ 1 ÿ )*56ÿ ))()ÿ 5)ÿ0 ; ÿ ÿ (1 1 $ 6 ÿ0 ÿ + 4 7 83 4 1 1ÿ ÿ 1 9 7 6 ÿ 1 ÿ 1 ÿ , 1 ÿ ÿ 1 6ÿ 9 1 1 7 1 ÿ ÿ ÿ 3 #4 ÿ 1 ÿ # 4 6 ÿ 8 7ÿ ÿ0 ÿ6 7 ÿ 6 ÿ 2 ÿ 4 6 ÿ 75 3 1 4 ÿ 86 3 5 3 9 1 9 3 6 4 67 3 6 7 0 1 ÿ 9 11 ÿ -71ÿ .6 86 # / 41ÿ ÿ (1 1 $ 6 ÿ ÿ3 3 6ÿ 4 6 ÿ 3 5 3 9 1 6 ÿ7 63 1 ÿ 1 , 1 4 6 4 1 1ÿ ÿ6 6ÿ 1 77 6ÿ0 ÿ + ÿ 7 83 4 1 1 ÿ ÿ 1 9 7 6 1 ÿ 1 ÿ , 1 ÿ ÿ 1 6ÿ 9 1 1 7 1 ÿ ÿ ÿ 3 #4 ÿ 1 ÿ # 4 6 ÿ 8 7ÿ ÿ00 ÿ6 7 ÿ 6 ÿ 2 ÿ 4 6 ÿ 75 3 1 4 ÿ 86 3 5 3 9 1 9 3 6 4 ÿ67 3 6 7 ÿ ÿ 6ÿ 86 4 6ÿ ÿ 1 6 7 ÿ 8 ÿ 7 74 6 ÿ + 4 ÿ47 1 6ÿ4 ÿ 86 4 1 ÿ 4 1 9 3 6 4 1 ÿ 1 ÿ )*56ÿ ))()ÿ 5)ÿ00 0 1 ÿ 9 11 ÿ -71ÿ .6 86 # / 41ÿ ÿ (1 1 $ 6 ÿ ÿ3 3 6ÿ 4 6 ÿ 3 5 3 9 1 6 ÿ7 63 1 ÿ 1 , 1 4 6 4 1 1ÿ ÿ6 6ÿ 1 77 6ÿ00 ÿ + ÿ 7 83 4 1 1 ÿ ÿ 1 9 7 6 1 ÿ 1 ÿ , 1 ÿ ÿ 1 6ÿ 9 1 1 7 1 ÿ ÿ ÿ 3 #4 ÿ 1 ÿ # 4 6 ÿ 8 7ÿ ÿ0 ÿ6 7 ÿ 6 ÿ 2 ÿ 4 6 ÿ 75 3 1 4 ÿ 86 3 5 3 9 1 9 3 6 4 ÿ67 3 6 7 ÿ ÿ 6ÿ 86 4 6ÿ ÿ 1 6 7 ÿ 8 ÿ 7 74 6 ÿ + 4 ÿ47 1 6ÿ4 ÿ 86 4 1 ÿ 4 1 9 3 6 4 1 ÿ 1 ÿ )*56ÿ ))()ÿ 5)ÿ0 =?@AB?CD ÿ FD BD @ Gÿ HD D IJH K =L M N O PQP IL RL S T D UQV WSL V X YZS[ L V =PZUL S YZS[ L V ?WL ] L O ^P _ YZS[ L V FV̀ W[ [àU b YZS[ L V ?PO c F@Aÿ J?dFD G =L M L S M V Pÿ GWQL O =PZUL ?PO ÿ JV WeL̀ O 80 88*) f g h i j h f FV̀ W[ [àUÿ Pÿ kPlV Wÿ eWÿ O L ÿ JV PRẀeL e %8 *6ÿ )0 m 0 0 8 ÿ ! 0 ÿ 0 ÿ ÿ 7 nÿ %.8%(8 m6 80 ) ol` [ L [àU ?WL ]L O ^P (n8*8 ?pÿ Hkdÿ q g q f FWS MÙP rV WL ÿ sPPQt UWL 6ÿ )( 8u 6 vIYg q q =L M L S M V Pÿ pL O PVẁ L eP ]L O ^Pÿ @ PM L O x 9 y ]L O ^Pÿ z W[ M P x 9 y ]L O ^Pÿ d{ WUM P x 0 8 1 $ 6ÿ4 ÿ 6ÿ ÿ m( )(ÿ )) ()ÿ 5)ÿ01 ) ÿ 1 1 $ 6 ÿ 3 4 3 9 1 6 ÿ 1 ÿ3 6 ÿ 7 83 4 1 6 ÿ # $ 4 ÿ 7 6 9 6 ÿ ÿ 11 9 34 ÿ 5 39 1 ÿ1 7 1 ÿ ÿ 9 + 9 6 ÿ 3 8 6 ÿ 7 7 3 6 7 3 1 ÿ ÿ 1 9 7 6 ÿ 1 ÿ 1 ÿ # 3 1 9 34 3 #4 ÿ ÿ6 7 ÿ 1 4 6 ÿ 4 6 ÿ 9 6 7 7 6 4 ÿ 1 ÿ 4 1 ÿ 11 9 34 9 6 8 7 9 3 1 ÿ ÿ 1 ÿ7 63 1 | }~ rV WL S ÿ sPPQt UWL S ÿ ?pÿ Hkd q g q f 69 1 7 ?PO ÿ JV We` LO  ÿ 1 0 9 7 ! 9 1 7 9 9 y 9 9! 1ÿ ÿ ÿ 7 ! 0 ! 9 €  ‚ 1ÿ 1 1 ÿ ƒÿ 6 4 7 1ÿ 9 6 4 7 3 , 6 7 0 „ 9 „1 ÿ 0ÿ 8 11ÿ „ „ ††† 3 3 9 „ 811 3 „ 3 4 7 4 „ ‡ „ 9 6 4 4 3 6 „ 3 4 4 8 „
  • 9.
    0 1 ÿ 3 1 4 1 ÿ 56 7 1 8 ÿ 9 7 1 8 ÿ 7 ÿ 7 1 1 ÿ 7 ÿ 8 8 ÿ ÿ 7 3 1 8 ÿ 4 64 7 1 7 8 ÿ 1 1 1 1 8 ÿ ÿ 48 ÿ 1 8 6 7 68 ÿ ÿ 7 8 ÿ 7 7 6 1 1 ÿ 7 ÿ 1 37 6 1 ÿ 1 ÿ 1 8 7 ÿ 7 ÿ 1 8 ÿ 3 1 1 8 6 1 ÿ 7 ÿ ! ÿ 7 7 ÿ 1 ÿ 8 7 ÿ 8 77 8 6 7 ÿ 7 ÿ # ÿ 46 ÿ ÿ $7 ÿ ÿ 6 7 7 % 1 ÿ 3 1 3 7 8 ÿ 48 7 6 6 7 8 ÿ ÿ 8 ÿ 8 ÿ 7 ÿ 1 6 ÿ 7 ÿ 7 6 6 7 ÿ 7 8 ÿ 7 4 6 7 8 1 8 ÿ 7 ÿ 7 1 ÿ 1 3 1 ÿ 1 ÿ !'()*+,ÿ !'-'!.'ÿ +'ÿ # / 0 1 0 2 ÿ 3 ÿ 4 // -1 4 1 8 ÿ ! 4 4 8 3 0 0 5556 / 8 / 3 01 4 1 8 0 7 6 7 0 7 0 3 7 0 7 / 4 0
  • 10.
    Pag.1 de 119-03-2025 2705 ## 19 /0 V A ZI E- X R URBANO RURAL localidad o loteo Rol de Avalúo Nº Observaciones Folio: Monto: Fecha: Pago Derechos 3214379 $3.402 19/03/2025 503-735 Nº Certificado Fecha Rol CERTIFICADO DE NÚMERO DIRECCIÓN DE OBRAS - MUNICIPALIDAD DE TALAGANTE REGIÓN METROPOLITANA 2705 19/03/2025 El director de Obras Municipales que suscribe certifica que el predio ubicado en calle/camino manzana 1-B correspondiente 0 CAM MELIPILLA T57S (RUTA G-78) al lote Nº Div. Predial Res. Nº 004 (13.02.2014) Documento elaborado por Cristian Chateauneuf Mediano 503-735 LOCAL N°3 Le ha sido asignado el número: 7022 - Ex 7044 Este documento contiene una firma electrónica avanzada. Verificar www.talagante.cl/firmasobra ID: l50ac-003mi
  • 11.
    Pag.1 de 119-03-2025 2706 ## 19 /0 V A ZI E- X R URBANO RURAL localidad o loteo Rol de Avalúo Nº Observaciones Folio: Monto: Fecha: Pago Derechos 3214382 $3.402 19/03/2025 503-735 Nº Certificado Fecha Rol CERTIFICADO DE NÚMERO DIRECCIÓN DE OBRAS - MUNICIPALIDAD DE TALAGANTE REGIÓN METROPOLITANA 2706 19/03/2025 El director de Obras Municipales que suscribe certifica que el predio ubicado en calle/camino manzana 1-B correspondiente 0 CAM MELIPILLA T57S (RUTA G-78) al lote Nº Div. Predial Res. Nº 004 (13.02.2014) Documento elaborado por Cristian Chateauneuf Mediano 503-735 P LOCAL N°4 Le ha sido asignado el número: 7022 - Ex 7044 Este documento contiene una firma electrónica avanzada. Verificar www.talagante.cl/firmasobra ID: l50gu-003mi
  • 12.
    0 1 2 3 4 5 67 1 3 82 ÿ 7 ÿ 1 1 ÿ 7 4 4 3 84 7 1 ÿ 7 3 4 88 3 1 ÿ # ÿ $ % ' # ( ) * + , * - . . $ / 0 ' ÿ 1 . 2 0 1 . 3 45 ÿ 7 8 9 : ; 45 ÿ = 5 9 7 8 ?7 @A 5 ÿ 5 4B ÿ = 9 7 8 C 9 D 8 ÿ 8 F 8 B 9 ; 7 A G ÿ H 7 8 7 ; B F 48 I7 9 ; JB ÿ B 48 I7 D ; 7 ÿ = 9 7 8 C 9 D 8 ÿ 4K 9 ; 7 A ÿ = A ÿ D 8 8 ; D 48 ; 4L ÿ 5 5 M ?; 8 ÿ 8 9 M 8 8 ; 8 ÿ 7 A J8 ?7 B 4ÿ 8 5 N4B 5 7 @A ÿ = A O B 5 D 8 M I B D 4ÿ = ÿ HA 7 B ; K 9 7 9 ; JB P 8 8 ; D 48 ; 7 A G ÿ RB ÿ A ÿ 9 7 5 4ÿ = A ÿ HA 7 B ÿ S ?M A 7 =48 T4IM B 7 A ÿ 4ÿ U 9 9 ; 4B 7 A ÿ 9 4B 5 M A D 7 8 ÿ 7 A IM B ; 9 ; N; 4ÿ 8 5 N 9 D ; 4G ÿ V; B D 8 7 5 WM L ÿ N7 8 7 ÿ A ÿ HA 7 B ÿ O B D 8 9 4IM B 7 A ÿ 4 V D 8 4N4A ; D 7 B 4ÿ 9 4B 5 M A D 7 8 ÿ 7 ÿ A 7 U 8 I; ÿ = ÿ X; ; B =7 ÿ Y ÿ Z8 @7 B ; 5 I4 9 48 8 5 N4B =; B D G ÿ H M = ÿ = 5 9 7 8 ?7 8 ÿ A 4 5 ÿ 7 8 9 : ; 4 5 U : 7 N ÿ [] ^ P RSSO P _SO _ ÿ ` a ÿc d e f g h ÿi d ÿjd k l m n m o f k a h a ÿp d q r f s a ÿ d h ÿ o a ÿ t m h a ÿ s d h k l a o ÿ i d o ÿ n a u p ÿ v n m p d d ÿq h a ÿp q n d l w s f d ÿk m k a o ÿi d x y z { | } ~  | ÿ € ‚ z ƒi f h f p k l a „ a d h k d ÿ d p k † f h k d e l a i a ÿ n m l ÿ ‡ ÿ n l m f h s f a p ÿ v ÿ y  s m q h a p z ÿ ` a ÿ s a n f k a o ÿ l d e f m h a o ÿ d p ˆ a h „ a e m ~ ÿ‰ q d ÿk a r f Š h ÿd p ÿo a s a n f k a o ÿ i d o ÿ n a u p z ÿ ` a ÿ l d e f g h ÿ „ d h d ÿ q h a ÿ n m r o a s f g h ÿ i d ‹ z x x  z Œ | Œ ÿ  a r f k a h k d p ÿ v ÿ p q ÿ n l f h s f n a o s d h k l m ÿ q l r a h m ÿ d p ÿ o a ÿ s m h q l r a s f g h i d h m f h a i a ÿ Žl a h ÿ ˆ a h „ a e m ~ s m n q d p k a ÿ n m l ÿ o a p ÿ s m q h a p ÿ i d ÿ o a n l m f h s f a ÿ i d ÿ ˆ a h „ a e m ~ ÿ a i d † p ÿ i d o a p ÿ s m q h a p ÿ i d ÿ  q d h k d ÿ ƒo k m ~ ÿ ˆ a h ‘ ’ ‘ “ ÿ • ÿ ––—ÿ ˜ ÿ ™ š “ š ›œ ÿ š ÿ ž œ Ÿ œ š ‘ ÿ ¡ ÿ —“ ¢‘ œ £ ›¤ ÿ š ÿ ¥ ‘ ÿ ¦ š §œ ¨ ÿ š © “ ¤ ª¤ ¥ œ © ‘ ‘ ÿ « ÿ ¬š © “ ¤ ÿ š ÿ ­ £ © ® œ ¤ £ ÿ š ÿ ¬œ ® ‘ ÿ ¡ ÿ̄š “ “ œ © ¤ “ œ ¤ ÿ • ÿ ­ £ “ œ ° ÿ̄¤ ›¯ ¤ ›° ÿ ±‘ “ ›œ ° ÿ ² ¤ ® “ £ ³® ‘ “ š ° ÿ ­ ¯ ´ ˜ µ¶· ¸ ¹ º» ¼ » ½ÿ ¿À ÿ Á  ¼ Ã Ä » ÅÃ Æ Ç È» É ¼ ¹ ʹ Ë Ã É Ì Ç Ì Í¹ ÎÏ Ç Ì Ð Ì Ë Ì ÅÌ Ç É » Ñ ¹ Ç Ì Ñ Ò Á Ó Ô Õ ¹ ÿ Ê» ¼ ÎÃ É Ã ½¹ Á ÖÏ Ã ÊÌ Îà » Ç É ¹ ÿ × Ã » Ç É Ø Ù × ¹ Ú × ¹ λ ¼ × Ã ¹ Ú ÿ ½» ʹ ¼ É » Ú » ½Ï × Ì × Ã Æ Ç Ú ÿ Â Ì Ë Ï ½Ú  » ÅÏ ¼ à ½Ì ½Ú ÿ  » ¼ Û Ã × Ã ¹ Â Ú ÿ  ¹ × Ã Ì Ë Ü Ì × É Ã Û Ã ½Ì ½ÿ ʼ ¹ ½Ï × É Ã Û Ì Î¹ Ë » Â É Ì Â Ü ÿ Ý ¼ » Ì ÿ Û » ¼ ½» ÿ À »  ÊÌ × Ã ¹ ÿ ÊÞ ¿Ë Ã × ¹ ß Õ ¹ ÿ ʼ ¹ à à ¿Ã ½¹ Ä » Û Ã Â Ì ¼ ÿ ¹ ¼ ½» Ç Ì Ç á Ì ÿ Ë ¹ × Ì Ë âãä Á ÍÐ Ò å æ ç ç è âÍ â¼ Ã » Ç É » ÿ Ó ÿ é Ï ¼ êâÈ Ñ Ò Á Ó Ô ÿ Ñ ¹ Ç Ì ÿ Ò Ç ½Ï Â É ¼ Ã Ì Ë ÿ Ô È¹ Ë » Â É Ì ¸ ë åâ ì í î ì ï î Ô ì æ æ êë åâÍ ð Ô Ô ñ Ð ë åâ å» × ¼ » É ¹ âãé é à Ì Ê» ë ë ò¼ » Ì ÿ ç ì Ô æ ç ó ß ì í ï í ñ æ ç æ í æ é à Ì Ê» ë ë è » Ç ÅÉ à ÿ ñ Ô í ô ß æ ô ì ï ç ç ñ ñ ñ í ó Ô ô õ ÿ ÷ø ÿ ù úû ø ü û ý ü þ ý ÿ 0 1 2 3 2 0 4 5 ÿ 7 8 1 7 ÿ 9 ÿ ÿ ÿ ÿ 9 9 8 2 2 2 9 9 2 ! 2 1 ! # $ ! 1 # % 3 $ ' # ' $ $ 2 $
  • 13.
    0 1 2 3 4 5 6 7 ÿ 9ÿ ÿ ÿ 9 ÿ7 ÿ 5 2 1 6 ÿ 9 ÿ 7 6 2 ÿ ÿ ÿ ÿ ÿ ÿ ÿ ÿ ÿ ÿ ! ÿ # $#% ' ÿ () * + ÿ , ÿ - . / 0 1 ÿ 2 2 3 ÿ 4 54 67 8ÿ , 4 64 , 3 ÿ 9:6; (; =% ; -=-ÿ -4 ÿ 7 =% ==67 4 ÿ , ÿ ?* @ + * 1 0 . A ÿ B + ÿ (1 C D / E 1 ÿ 6A . * 1 C A + ) 0 0 E FFF# @ . C # . + + ' . ) * + C A G D A / H * B 61 / $A I 3 ! ! 3 J K* B A / 0 I 2 J 2 K* B L / E * 1 C I 3 J , , M 3 3
  • 14.
    CVE 1254796 |Director: Carlos Orellana Céspedes Sitio Web: www.diarioficial.cl | Mesa Central: +562 2486 3600 Email: consultas@diarioficial.cl Dirección: Dr. Torres Boonen N°511, Providencia, Santiago, Chile. Este documento ha sido firmado electrónicamente de acuerdo con la ley N°19.799 e incluye sellado de tiempo y firma electrónica avanzada. Para verificar la autenticidad de una representación impresa del mismo, ingrese este código en el sitio web www.diarioficial.cl DIARIO OFICIAL DE LA REPUBLICA DE CHILE Ministerio del Interior y Seguridad Pública V SECCIÓN CONSTITUCIONES, MODIFICACIONES Y DISOLUCIONES DE SOCIEDADES Y COOPERATIVAS Núm. 41.831 | Jueves 10 de Agosto de 2017 | Página 1 de 1 Empresas y Cooperativas CVE 1254796 EXTRACTO MARÍA EUGENIA LE-BERT ACHERITOGARAY, Notario Público Titular de Talagante, con oficio en Bernardo O’Higgins N° 1360, certifica: Por escritura hoy, ante mí, TATIANA DEL PILAR CÁCERES DONOSO, C.I. 14.343.353-6 y sociedad INVERSIONES E INMOBILIARIA EL OLIVETO LIMITADA, R.U.T. 76.392.786-5, representada por MANUEL GUMUCIO GUMUCIO, C.I. 6.053.135-8; todos domiciliados en Camino Melipilla Nº 7022, ex Nº 7044, Talagante; constituyen sociedad comercial de responsabilidad limitada, OBJETO: a) La compra, venta, arrendamiento, uso, goce, administración y explotación de bienes raíces. b) Inversiones en todo tipo de activos mobiliarios o inmobiliarias y en general, en cualquiera de las actividades de servicios o productivas. c) Toda otra actividad o giro que determinen los socios. RAZÓN SOCIAL: INVERSIONES E INMOBILIARIA LONQUEN SUR LIMITADA , pudiendo usar para fines comerciales y ante cualesquiera personas jurídicas y naturales, incluso ante bancos el nombre de fantasía: LONSUR LTDA. ADMINISTRACIÓN Y USO RAZÓN SOCIAL: Manuel Gumucio Gumucio, amplias facultades. CAPITAL SOCIAL: $400.000.000, que socios suscriben y aportan siguiente forma: INVERSIONES E INMOBILIARIA EL OLIVETO LIMITADA aporta $361.564.910, mediante aporte en dominio de bienes raíces, descritos en escritura extractada; y Tatiana del Pilar Cáceres Donoso, aporta $38.435.090, en dinero efectivo, ingresado a arcas sociales. DURACIÓN: 5 años, renovables tácita y sucesivamente por períodos iguales, si ninguno de los socios manifestare voluntad de ponerle término en forma estipulada en escritura. DOMICILIO: Talagante, sin perjuicio de agencias o sucursales que pueda establecer dentro del país o en el extranjero.- Demás estipulaciones escritura extractada. Talagante, 01 de Agosto de 2017.
  • 15.
    DECLARACIÓN ARQUITECTO PROYECTISTA ARTÍCULO144 LGUC / ARTÍCULO 5.2.6 OGUC. Yo, JUAN LUIS MENARES RODRÍGUEZ, RUT N° 15.069.551-1, arquitecto de la obra ubicada en CAM MELIPILLA T57S (RUTA G-78) # 7022, de la comuna de TALAGANTE, que cuenta con el Permiso de obra nueva PON 224 / 2018 y resolución modificatoria POM 330 / 2019, declaro que esta obra, en contexto de PERMISO DE OBRA MENOR SIN ALTERACIÓN DE ESTRUCTURA, fue intervenida en conformidad al permiso antes señalado, a sus Especificaciones Técnicas, a las normas de la Ley General de Urbanismo y Construcciones, la Ordenanza homónima y que no se ha modificado la calidad de la construcción contemplada en dicho permiso. En Talagante, a fecha de hoy 20 de marzo de 2025 firma: __________________________________ JUAN LUIS MENARES RODRÍGUEZ RUT 15.069.551-1 ARQUITECTO PATROCINANTE
  • 16.
    ESPECIFICACIONES TÉCNICAS RESUMIDAS TIPODE SOLICITUD: SOLICITUD DE PERMISO DE OBRA MENOR, SIN ALTERAR ESTRUCTURA 1 - DIRECCIÓN DE LA PROPIEDAD MANZANA LOTE LOTEO O LOCALIDAD PLANO DE LOTEO Nº 2 DATOS DEL PROPIETARIO *** 1-B Div. Predial Res. Nº 004 (13.02.2014) *** COMUNA ROLSII TALAGANTE 503-735 1.- DIRECCIÓN DE LA PROPIEDAD CAM MELIPILLA T57S (RUTA G-78) CALLE o CAMINO NUMERO 7022 2.- DATOS DEL PROPIETARIO NOMBRE O RAZÓN SOCIAL R.U.T. FIRMA DEL PROPIETARIO PERSONA NATURAL O REP. LEGAL REPRESENTANTE LEGAL R.U.T. MANUEL GUMUCIO GUMUCIO 6.053.135-8 INVERSIONES E INMOBILIARIA LONQUÉN SUR LTDA 76.772.329-6 3 ARQUITECTO PROYECTISTA FIRMA NOMBRE ARQUITECTO PROYECTISTA R.U.T. JUAN LUIS MENARES RODRIGUEZ 15.069.551-1 15.069.551-1 JUAN LUIS MENARES RODRIGUEZ NOMBRE O RAZÓN SOCIAL DE LA EMPRESA (cuando corresponda) R.U.T. DIEGO PORTALES 1275 LA LIGUA COMUNA DIRECCIÓN / CALLE / PASAJE Nº 3.- ARQUITECTO PROYECTISTA PATENTE PROFESIONAL N° PRO 207 DIEGO PORTALES 1275 LA LIGUA 4.- ESPECIFICACIONES TECNICAS RESUMIDAS VIGA DE FUNDACIÓN PREEXISTENTE, EN HORMIGÓN ARMADO BAJO TABIQUE, SEGÚN PERMISO ORIGINAL. FUNDACIONES ESTRUCTURA DE MUROS PRO 207 ESTRUCTURA DE PISOS CARPINTERÍA DE MADERA EN TABIQUE, SEGÚN PERMISO ORIGINAL. NO INTERVENIDOS ESTRUCTURA DE MUROS ESTRUCTURA CIERRE PERIMETRAL NO INTERVENIDA ESTRUCTURA DE TECHUMBRE NO INTERVENIDA NO INTERVENIDA NO INTERVENIDOS REVESTIMIENTOS EXTERIORES CUBIERTA
  • 17.
    REVESTIMIENTOS INTERIORES PLANCHA YESO,SEGÚN PERMISO ORIGINAL. CERÁMICOS SOBRE PLANCHA DE FIBROCEMENTO, SEGÚN PERMISO ORIGINAL. NO INTERVENIDOS REVESTIMIENTOS INTERIORES BAÑO/ COCINA CIELOS AISLACIÓN EN TECHUMBRE AISLACIÓN EN MUROS NO INTERVENIDA POLIESTIRENO EXPANDIDO, SEGÚN PERMISO ORIGINAL. NO INTERVENIDAS PUERTAS PAVIMENTOS NO INTERVENIDOS RED DE AGUA POTABLE VENTANAS NO INTERVENIDAS NO INTERVENIDA RED ALCANTARILLADO INSTALACION AGUA POTABLE NO INTERVENIDA NO INTERVENIDA INSTALACION SANITARIA NO INTERVENIDA NO INTERVENIDA RED ELECTRICA NO INTERVENIDA INSTALACIÓN ELECTRICA
  • 18.
    NO INTERVENIDA RED DEGAS NO INTERVENIDA OBRAS EXTERIORES INSTALACIÓN DE GAS NO TIENE. NO APLICA TERMINACIÓN EXTERIOR TERMINACIÓN CUBIERTA NO APLICA LATEX AL AGUA NO APLICA TERMINACIÓN PAVIMENTOS TERMINACIÓN INTERIOR F-120: NO APLICA F-60: NO APLICA F-30: TABIQUE MADERA RESISTENCIA AL FUEGO MUROS DIVISORIOS UNIDADES F-60: NO APLICA MUROS CAJA ASCENSORES F-60: NO APLICA MUROS CORTAFUEGO MUROS ZONA VERTICAL ELEMENTOS SOPORTE VERTICAL F-15: NO APLICA TABIQUES Y MUROS NO SOPORTANTES ESCALERAS TECHUMBRE F-15: APLICA ELEMENTOS SOPORTE HORIZONTAL F-30: CARPINTERÍA MADERA CIELO FALSO O O MUROS DE CONTENCIÓN S/R: TABIQUERÍA MADERA S/R: NO APLICA VENTILACIÓN FORZADA NO INTERVENIDO PORCENTAJE VIDRIADO NO INTERVENIDA NO APLICA AGUAS LLUVIAS NO INTERVENIDA
  • 19.
    RAMPAS ACCESIBILIDAD NO INTERVENIDAS SOLUCIONESRESISTENCIA AL FUEGO F-30 ELEMENTOS SOPORTE VERTICAL F-120 MURO CORTAFUEGO F-60 MUROS ZONA VERTICAL F-60 MUROS CAJA ASCENSORES F-60 MUROS DIVISORIOS UNIDADES PASAMANOS ACCESIBILIDAD NO INTERVENIDOS A.2.3.30.06 NO APLICA A.2.3.30.06 NO APLICA NO APLICA NO APLICA NO APLICA NO APLICA NO APLICA A.2.3.30.06 SOPORTE VERTICAL F-30 TABIQUES Y NO SOPORTANTES F-30 ESCALERAS F-30 ELEMENTOS SOPORTE HORIZONTAL F-15 TECHUMBRE F-15 CIELO FALSO VERTICAL ASCENSORES UNIDADES Elemento R100 Rt U Materiales aislantes Código material SOLUCIONES ACONDICIONAMIENTO TÉRMICO Tabiques 0.60 1.67 141 Poliestireno expandido 5.00cm (tabiques) 1.2.M.C24.5 141 98 Poliestireno expandido 5.00cm (cielos) Poliestireno expandido 10 kg/m³ 1.1.M.A1.2 R100/PE.2.1 Techumbre Pisos 0.60 0.87 1.67 1.15 NOTA: ANTE DISCREPANCIAS PRIMA LO SEÑALADO EN LAS EETT DEL PERMISO ORIGINAL Y SUS RESOLUCIONES MODIFICATORIAS
  • 20.
    MEMORIA EXPLICATIVA DELPERMISO DE OBRA MENOR SOLICITADO 1.- CONTEXTO El expediente busca solicitar autorización para desmontar uno de los tabiques (no estructurales) en stripcenter anexo a lubricentro, en la zona nororiente de la comuna de Talagante –sector ZIE 2 del PRC comunal- área próxima a Peñaflor, por camino viejo a Santiago. Figura 1: Izquierda, imagen satelital del local; derecha, tabique desmontado. 2.- FUNDAMENTO Durante visita inspectora de la municipalidad de Talagante, al local #4 del establecimiento ubicado en Camino a Melipilla T57S #7022, los profesionales notaron la ausencia de uno de los tabiques informados en el permiso de obras que forma parte del legajo de documentos del establecimiento (en poder del archivo DOM). Es por ello que solicitaron en comunicaciones al propietario lo siguiente: - Presentar permiso de obra menor. - Informar a la dirección de obras de la remoción del tabique. - Solicitar de manera el permiso para la remoción del elemento no estructural; a fin de conservar la patente definitiva del local 4 –hoy a la espera de ingreso en la DOM-.
  • 21.
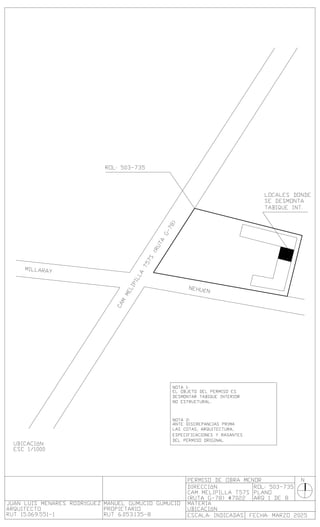
    3.- CONCLUSIONES Considerando queel edificio cuenta con permiso de obras y recepción existente; se considera como remediación a la situación anterior, extender permiso de obra menor, constituido por la presentación del tabique a remover, sin afectar la estructura primaria de las obras consideradas en el permiso original del establecimiento. Figura 2: plan maestro del permiso original 4.- ALCANCES La ejecución del proyecto se sujetará a las condiciones del permiso y recepción original, no considerando en caso alguno, la generación de nuevos espacios y geometrías en planta. Se trata netamente de la remoción de un elemento –tabique no estructural desmontado sin autorización municipal-.
  • 22.
    Figura 3: Capturarecepción definitiva De existir discrepancias entre las especificaciones resumidas de esta presentación y las del permiso original, primará lo informado en el expediente 447/2019 de la dirección de obras municipales de Talagante. Se entrega el presente expediente en el contexto de regularización. JUAN LUIS MENARES RODRÍGUEZ ARQUITECTO