CICLO DEL
PROYECTO
 Un expediente técnico es el conjunto de
documentos de carácter técnico y/o económico
que permiten la adecuada ejecución de una
obra.
En Obras Públicas es
PRIORITARIO que el
Expediente técnico se ajuste
al Estudio de Pre Inversión
declarado viable (perfil o
factibilidad), debe evitarse
modificaciones sustanciales
que puedan alterar o
modificar el objetivo por el
cual el proyecto fue
concebido.
Revisar Art.27 de la Directiva general del SNIP
 Construcción de la carretera
Huanuara – Mirave
 L=25 KM,
 Sección 4.5km
 Trocha a nivel de afirmado
 18km de Cunetas
SEGÚN PERFIL SEGÚN ET o ED
 Construcción de la carretera
Huanuara – Mirave
 L=28 KM,
 Sección 5.5km
 Asfaltado
 Construcción de 01 pontón
 Construcción de canal
abierto de concreto
f´c=175kg/cm2
 L=5 KM,
 Sección trapezoidal
 Construcción de canal
cubierto f´c=175kg/cm2
 L=5 KM,
 Sección rectangular
C
a
s
o
1
C
a
s
o
2
 Construcción de
 04 aulas de 42m2 c/u
 01batería de SSHH
 01 Patio dehonor
 Construcción de
 05 aulas de 42m2 c/u
 01batería de SSHH
 01 Patio de honor
 01 pozo séptico y tanque percolador
C
a
s
o
3
 Reglamento Nacional de Edificaciones
(D.S. N°011-2006-VIVIENDA)
Según la Norma G.040 el Expediente técnico está constituido
por:
-memoria descriptiva
-planos por especialidades
-especificaciones técnicas
-metrados y presupuestos
-análisis de precios unitarios
-cronogramas de ejecución de obra
-fórmulas de reajuste de precios
-estudios de suelos, geológicos, etc.
-estudios de impacto ambiental, etc.
Resolución de Contraloría
N°195-88-CG
Norma que regula la
ejecución de obras por
administración directa
Art. N°1/ítem 3
“Es requisito indispensable
para la ejecución de estas
obras contar con el
Expediente técnico
aprobado por el nivel
competente, debe contener:
memoria descriptiva,
especificaciones técnicas,
planos, metrados,
presupuesto base, análisis
de P.U., cronograma de
adquisición de materiales y
ejecución de obras”
Ley de Contrataciones del Estado
(aprobado por D.L. 1017)
Artículo 13.- Características técnicas de los bienes,
servicios y obras
 En el caso de obras, además, se deberá contar con la
disponibilidad física del
 terreno o lugar donde se ejecutará la misma y con el
expediente técnico aprobado,
Directiva General del SNIP R.D. N°003-2011-EF/68.01
Art.10.- Funciones y responsabilidades de la Unidad
Ejecutora 10.1 La UE tiene las siguientes funciones: a.
Ejecuta el PIP autorizado por el Órgano Resolutivo, o el
que haga sus veces. b. Elabora el estudio definitivo,
expediente técnico u otro documento equivalente, ó
supervisa su elaboración, cuando no sea realizado
directamente por este órgano.
 La Entidad, elabora de manera directa sus
expedientes técnicos. Siendo necesario
que cuente con profesionales
especializados, la infraestructura,
recursos humanos y logística que lo
permita (Oficina de Estudios).
 La UE debe ceñirse a la viabilidad para la
elaboración del ET o ED
 La Entidad elabora sus
expedientes técnicos de
forma indirecta, a través
de un consultor de obra
contratado especialmente
para tal fin observando las
disposiciones de la
normativa
El
Expediente
Técnico
 Constituye la descripción del proyecto. Señala
la justificación técnica de acuerdo a la
evaluación del estado de la obra, debiendo
indicarse consideraciones técnicas cuya
índole depende del tipo de obra a ejecutar y
que exigen el desarrollo de un conjunto de
trabajos señalados en el expediente técnico.
Asimismo, se señala en forma precisa los
objetivos a alcanzar con el desarrollo de la
obra o trabajos planteados
 Antecedentes/ Generalidades
 Objetivos
 Ubicación / Características del terreno
 Descripción del proyecto
 Metas
 Modalidad de ejecución
 Plazo d ejecución
 Presupuesto
 Observaciones / Recomendaciones
DE ARQUITECTURA
DE CÁLCULO
ESTRUCTURAL
 Se detalla cuadros de
áreas
 los criterios de diseño
arquitectónico
 Los materiales
principales
 Otros datos
importantes
 Se precisa los
principales parámetros
de cálculo de todos los
elementos
estructurales que
forman parte del
proyecto.
 Se anexa los cálculos y
sus resultados
INSTALACIONES
ELECTRICAS
 DE INSTALACIONES
SANITARIAS
 El objetivo es describir y
calcular los sistemas
sanitarios, mencionar los
trabajos
 realizados y materiales
suministrados para la
Instalación Hidrosanitaria:
abastecimiento del agua,
 disposición final de las
redes de alcantarillado,
sistema de ventilación,
drenaje pluvial, etc.
 DE INSTALACIONES ELECTRICAS
 Describir los lineamientos
generales y cálculos de la
instalación eléctrica a realizar,
indicando:
 1. Arquitectura de tableros
 2. Sistemas de canalizaciones
 3. Instalaciones de iluminación y
tomas
 4. Instalación en sectores
específicos.
 5. Compensación de energía
reactiva
 6. Sistema de puesta a tierra
 7. Sistema de protección contra
descargas atmosféricas
 8.Instalación de redes, etc
INSTALACIONES
SANITARIAS
 Construcción de la carretera
Huanuara – Mirave
 L=25 KM,
 Sección 4.5km
 Trocha a nivel de afirmado
 18km deCunetas
SEGÚN PERFIL SEGÚN ET o ED
 Construcción de la carretera
Huanuara – Mirave
 L=28 KM,
 Sección 5.5km
 Asfaltado
 Construcción de 01 pontón
SEGÚN PERFIL
 Construcción de canal
abierto de concreto
f´c=175kg/cm2
 L=5 KM,
 Sección trapezoidal
SEGÚN ET o ED
 Construcción de canal
cubierto f´c=175kg/cm2
 L=5 KM,
 Sección rectangular
C
a
s
o
1
C
a
s
o
2
ESPECIFICACIÓN TECNICA
CONSTITUYE EL CONJUNTO DE REGLAS Y
DOCUMENTOS VINCULADOS A:
•MÉTODOS DE CONSTRUCCIÓN
•CALIDAD Y CARACTERÍSTICAS DELOS MATERIALES
•SISTEMAS DE CONTROL DE CALIDAD DE LOS
TRABAJOS Y MATERIALES
•MÉTODOS DE MEDICIÓN Y CONDICIONES DE PAGO
 BASE GRANULAR e = 0.10 m EN PATIO Y LOSA
 01.02.01
 Estas partida comprenden en colocar en forma manual una capa
de base granular con material seleccionado con el fin de logar
un terreno compacto, y con la humedad óptima.
 MEDICION
 La unidad de medición a que se refiere esta partida es el metro
cuadrado (m2).
 FORMA DE PAGO
 El pago de ésta partida se hará por metro cúbico, cuyos precios
unitarios se encuentran definidos en el presupuesto, incluyendo
equipos, mano de obra, herramientas y todo lo necesario para la
correcta ejecución de la partida de obra.

 02.04.00 RELLENO O CONFORMACION DE TERRAPLENES
 DESCRIPCION
 Comprende el relleno con equipo de material propio de corte, considerándose
como tales los materiales que pueden ser removidos por equipos mecánicos tales
como retroexcavadoras, tractores o Motoniveladoras.
 Se rellenara en el ancho correspondiente a las explanaciones indicadas en los
Planos, hasta el nivel que se especifica en el diseño y plano correspondiente.
 El relleno se realizará por capas cuyo espesor no excederá los 35 cm
 MEDICION:
 La unidad de medición correspondiente a ésta partida es el metro cúbico (m3).
 FORMA DE VALORIZACIÓN:
 La valorización de ésta partida se hará por metro cúbico, según precios unitarios
que se encuentran definidos en el presupuesto, incluyendo equipos, mano de
obra, herramientas y todo lo necesario para la correcta ejecución de la partida de
obra.
 LADRILLO DE TECHO 0.30m. x 0.30m. x 0.15m.
 04.07.04/

 Los ladrillos serán de arcilla cocida, de formas y color uniformes, de
fabricación industrial, de dimensiones constantes, debiéndose obtener
un sonido metálico al ser golpeado, sin agrietamientos, fisuras ni
fraccionamientos.

 Método de Medición
 Se calculará la cantidad neta de ladrillos o bloques huecos sin considerar
desperdicios.

 Bases de Pago
 El pago de los ladrillos de techo se hará por la partida correspondiente
en base a precios unitarios por pieza colocada. Este precio incluirá,
además de los materiales, mano de obra y equipo necesario para
ejecutar la partida.

 03.01.00 CONCRETO F`C = 175 KG. /CM2

 DESCRIPCIÓN
 Comprende los trabajos necesarios para la fabricación de concreto, debiendo alcanzar los
niveles propuestos en los planos correspondientes. El cemento, piedra chancada, arena
gruesa y agua a utilizar cumplirán las especificaciones técnicas.

 SISTEMA DE CONTROL DE CALIDAD:
 El Residente tendrá especial cuidado en el almacenaje del cemento y tendrá en cuanta las
especificaciones señaladas anteriormente. El Supervisor se reserva el derecho de rechazar todo
material que no reúna las condiciones señaladas en las especificaciones ASTM C-33 y que no
estén especificadas en el análisis correspondiente.

 MEDICION:
 La unidad de medición a que se refiere esta partida es el metro cúbico (m3)

 FORMA DE VALORIZACIÓN:
 La valorización de esta partida será de acuerdo a la unidad de medición, según precios que se
encuentran definidos en el presupuesto de obra, incluyendo equipos, mano de obra,
herramientas y todo lo necesario para su correcta ejecución.
 Constituyen la expresión cuantificada por
partidas de los trabajos de construcción que se
ha programado ejecutar en un plazo
determinado, expresadas en la unidad de medida
que ha sido establecidas para cada partida; asi
mismo, son necesarios para determinar el
presupuesto de obra, por cuanto representa el
volumen de trabajo de cada partida.
 Con el fin de presupuestar una obra y controlar
la ejecución y el pago de la misma, se establece
un desglose del total de la obra en partes
denominadas partidas. Es decir, una partida se
establece con la finalidad de medir, cuantificar,
presupuestar y pagar una obra.
TÍTULO II: METRADOS PARA OBRAS DE EDIFICACIÓN
TÍTULO III: METRADOS PARA HABILITACIONES URBANAS
TÍTULO I: GENERALIDADES
EJEMPLO DE METRADOS: VEREDAS
BERMA
VEREDA
50
m
26m
VEREDA
BERMA
3.50
18.10
Calcular el área de:
1. Vereda
26 x 1.4 x 2 = 72.8 m2
50 x 1.4 x 2 = 140.0m2
∏ r² = 3.1416 x 1.4²/4 = 6.16 / 4 x 4=
6.16m2
Total Vereda= 218.95m2
1. Berma = 371.30m2
PARTIDA UND LARGO ANCHO SUBTOTAL TOTAL
(mt) (mt) (m2) (m2)
CONCRETOEN VEREDAS 74.40
MANZANA A (CALLE BOLIVAR) M2 30 1.20 36.00
MANZANA A (CALLE LA UNION) M2 32 1.20 38.40
1 5432 6 7 8
PARTIDA UND CANTIDAD LARGO ALTO SUBTOTAL TOTAL
(mt) (mt) (m2) (m2)
ALBAÑILERIA 84.00
MUROTIPOSOGAEJEA-A M2 8 3.50 3.00 84.00
3.00
Metrado en Albañilería: Muros (m2)
Metrado en veredas (m2)
 Memoria descriptiva.
◦ -Del Proyecto
◦ -De arquitectura
◦ -De cálculo estructural
◦ -De las instalaciones sanitarias
◦ -De las instalaciones eléctricas
 Especificaciones técnicas.
 Metrados.
 Presupuesto de obra.
 Análisis de precios unitarios.
 Relación o listado de insumos
 Calendario de avance de obra valorizado.
 Fórmulas polinómicas.
 Estudio de suelos.
 Planos de obra
 Estudio de Impacto ambiental.
 Otros complementarios.
NORMA E.050 DEL RNE
SUELOS Y CIMENTACIONES
- El objetivo de esta Norma es establecer los
requisitos para la ejecución de Estudios de
Mecánica de Suelos (EMS), con fines de
cimentación, de edificaciones y otras
obras indicadas en esta Norma.
- Los EMS se ejecutarán con la finalidad de
asegurar la estabilidad y permanencia de las
obras y para promover la utilización racional de
los recursos
Es obligatorio efectuar el EMS en los siguientes casos:
a) Edificaciones en general, que alojen gran cantidad de
personas, equipos costosos o peligrosos, tales como:
 colegios, universidades, hospitales y clínicas, estadios,
 cárceles, auditorios, templos, salas de espectáculos,
museos,
 centrales telefónicas, estaciones de radio y televisión,
 estaciones de bomberos, archivos y registros públicos,
 Centrales de generación de electricidad, sub-estaciones
eléctricas,
 silos, tanques de agua y reservorios.
b) Cualquier edificación no mencionada en a)
 De uno a tres pisos, que ocupen individual o
conjuntamente más
de 500 m2 de área techada en planta.
c) Cualquier edificación no mencionada en a) de
cuatro o más pisos de altura, cualquiera que sea su
área.
d) Edificaciones industriales, fábricas, talleres o
similares.
e) Edificaciones especiales cuya falla, además del
propio colapso, represente peligros adicionales
importantes, tales como: reactores atómicos,
grandes hornos, depósitos de materiales
inflamables, corrosivos o combustibles, paneles de
publicidad de grandes dimensiones y otros de
similar riesgo.
f) Cualquier edificación que requiera el uso de
pilotes, pilares o plateas de fundación.
g) Cualquier edificación adyacente a taludes o
suelos que puedan poner en peligro su estabilidad.
Alcance
La información del EMS es válida solamente
para el área y tipo de obra indicadas en el
informe. No podrán emplearse en otros
terrenos, para otras edificaciones, o para otro
tipo de obra.
Responsabilidad
Todo EMS deberá ser firmado por el PR, quien
asume la responsabilidad del contenido y de las
conclusiones del informe. El PR no podrá
delegar a terceros dicha responsabilidad.
El informe del EMS comprenderá:
1. Memoria Descriptiva
2. Planos de Ubicación de las Obras y de
distribución de los puntos de investigación.
3. Perfiles de Suelos
4. Resultados de los Ensayos «in situ» y de
Laboratorio
5. Anexos
a) Resumen de las Condiciones de Cimentación
Descripción resumida de los tópicos principales del informe:
 Tipo de cimentación.
 Estrato de apoyo de la cimentación.
 Parámetros de diseño para la cimentación (profundidad de
la cimentación, presión admisible, factor de seguridad por
corte y asentamiento diferencial o total).
 Agresividad del suelo a la cimentación..
 Recomendaciones adicionales.
b) Información Previa
 Descripción detallada de la información recibida de quien
solicita el EMS y de la recolectada por el PR en campo.
c) Exploración de Campo
 Descripción de los pozos, calicatas, trincheras,
perforaciones y auscultaciones, así como de los ensayos
efectuados, con referencia a las Normas empleadas.
d) Ensayos de Laboratorio
Descripción de los ensayos efectuados, con referencia a las normas empleadas.
e) Perfil del Suelo
Descripción de los diferentes estratos que constituyen el terreno investigado indicando para
cada uno de ellos:
 origen, nombre y símbolo del grupo del suelo, según el Sistema Unificado de
Clasificación de Suelos - SUCS, NTP, etc.
f) Nivel de la Napa Freática
Ubicación de la napa freática, indicando la fecha de medición y comentarios sobre su
variación en el tiempo.
g) Análisis de la Cimentación
Descripción de las características físico – mecánicas de los suelos que controlan el diseño de
la cimentación.
Análisis y diseño de solución para cimentación. Se incluirá memorias de cálculo en cada
caso, en la que deberán indicarse todos los parámetros utilizados y los resultados
obtenidos.
h) Efecto del Sismo
En concordancia con la NTE E.030 Diseño Sismorresistente, el EMS proporcionará como
mínimo lo siguiente:
- El Factor de Suelo (S) y
- El Período que define la plataforma del espectro para cada tipo de suelo (Tp(S))., etc.
a) Plano de ubicación del programa de
exploración
Plano topográfico o planimétrico del terreno,
relacionado a una base de referencia y mostrando
la ubicación física de la cota (o BM) de referencia.
b) Plano de ubicación exacta: de las calicatas,
pozos, perforaciones, etc., dentro del área
estudiada.
c)Plano de referencia de distribución por
bloques, de las áreas que se proyectan construir
.
 .
3. Perfil Estratigráfico por
punto investigado
Debe incluirse la información del
perfil del suelo indicada según la
referencia de los estudios
desarrollados, así como las
muestras obtenidas y los
resultados de los ensayos «in
situ». Se sugiere incluir símbolos
gráficos según normatividad.
 Se incluirán todos los gráficos y resultados
obtenidos en el Laboratorio según la
aplicación de las Normas.
 Determinar la capacidad portante del terreno
y las características físicas del mismo
1.Fotografías
2.Antecedentes del terreno y de zonas aledañas
3.Indicaciones de linderos
4. Obras anteriores u existentes
5.Usos y zonificación
6.Otros
 El impacto ambiental es el efecto que produce la actividad
humana sobre el medio ambiente. Así como también los efectos
de un fenómeno natural catastrófico sobre el medio ambiente.
Técnicamente, es la alteración de la línea de base ambiental.
 El estudio de impacto ambiental (EIA) es un procedimiento por el
que se identifican y evalúan los efectos de ciertos proyectos
sobre el medio físico y social.
 Objetivo General de un EIA
Presentar medidas destinadas a la prevención, control
mitigación de los potenciales impactos negativos
generados sobre los componentes físicos, biológicos,
socioeconómicos y culturales, como consecuencia de la
ejecución del Proyecto
 Protección de los servicios existentes
 Protección del sistema hidrológico
 Prevención del ruido
 Protección del patrimonio histórico-artístico
y arqueológico
 Protección de la fauna
 Protección de la vegetación
 Defensa contra la erosión, recuperación
ambiental e integración paisajística de la obra
 Seguimiento y vigilancia
1. INTRODUCCION
2. BASE LEGAL
3. DESCRIPCIÓN DEL PROYECTO
4. DIAGNÓSTICO AMBIENTAL
5. PLAN DE MANEJO AMBIENTAL EN LAS ACTIVIDADES DE
CONSTRUCCIÓN
6. SUPERVISIÓN, MONITOREO Y SEGUIMIENTO
4.1 AMBIENTE ABIÓTICO
4.1.1. CLIMA
 AGUAS SUPERFICIALES
 SUELO
 USO ACTUAL DEL SUELO
 AIRE
4.2 AMBIENTE BIOTICO
4.2.1 FLORA
4.3 AMBIENTE SOCIO ECONOMICO
4.3.1. DEMOGRAFIA
4.3.2. ACTIVIDADES ECONÓMICAS
Objetivo General
Presentar medidas destinadas a la prevención,
control y mitigación de los potenciales impactos
negativos generados sobre los componentes
físicos, biológicos, socioeconómicos y culturales,
como consecuencia de la ejecución del Proyecto.
Objetivos específicos
 Determinar las medidas de prevención y
mitigación para evitar o reducir la severidad de
los impactos ambientales negativos identificados
para el desarrollo de las actividades del proyecto.
 Diseñar el programa de monitoreo y seguimiento
ambiental de las medidas preventivas, de control
y mitigación.
LEGISLACIÓN SOBRE EVALUACIÓN DE
IMPACTO AMBIENTAL EN EL PERÚ
DECLARACIÓN DE IMPACTO AMBIENTAL
ESTUDIO DE IMPACTO AMBIENTAL
DIAGNOSTICO AMBIENTAL PRELIMINAR
PROGRAMAS DE ADECUACIÓN Y MANEJO AMBIENTAL
PRINCIPALES ESTUDIOS AMBIENTALES
DECLARACIÓN DE IMPACTO AMBIENTAL (DIA)
ESTUDIO DE IMPACTO AMBIENTAL (EIA)
DIAGNOSTICO AMBIENTAL PRELIMINAR (DAP)
PROGRAMAS DE ADECUACIÓN Y MANEJO AMBIENTAL
(PAMA)
 .
 .
.
El proyecto de arquitectura para edificación debe
contener la siguiente información:
1. Plano de localización y ubicación;
debe contener:
a) Información de sección de las vías frente al
terreno,
distancia a la esquina mas cercana, norte
magnético, altura y zonificación de los terrenos
colindantes, árboles y postes, indicación del
número de niveles de la edificación;
b) Cuadro de áreas y de parámetros urbanísticos y
edificatorios exigibles para edificar en el predio.
2. Planos de distribución por niveles;
a) Niveles de pisos terminados;
b) Dimensiones de los ambientes;
c) Indicación de los materiales de acabados;
d) Nombres de los ambientes;
e) Mobiliario fijo;
f) Amoblamiento, cuando se trate de
dimensiones mínimas o sea necesario para
entender el uso; y
g) Ubicación de los tableros eléctricos.
3. Planos de elevaciones;
4. Planos de cortes por los elementos de
circulación vertical;
5. Planos de detalles constructivos;
6. Planos de seguridad, deben contener
a) Rutas de escape e indicación de salidas;
b) Ubicación de luces de emergencia;
c) Ubic. de extintores, gabinetes contra incendio, y elementos
de detección
d) Señalización;
e) Zonas de seguridad;
 Nota.- Si se trata de una
ampliación o remodelación, los
planos de arquitectura deben
contener la identificación de la
obra nueva y de la obra existente.
a) Plano de cimentación, con referencia al
estudio de
suelos;
b) Plano de armadura de cada techo, indicando
niveles y cargas de diseño;
c) Plano de columnas y placas;
d) Plano de vigas y detalles;
e) Memoria de calculo;
f) Especificaciones técnicas de los materiales
estructurales; y
g) Procedimiento de ejecución, de ser necesario.
PLANO DE
CIMENTACIONES
PLANO DE TECHO -
VIGAS
a) Planos de distribución de redes de agua y
desagüe por niveles;
b) Planos de isometría y montantes;
c) Plano de detalles constructivos;
d) Especificaciones técnicas de los materiales; y
e) Procedimiento de ejecución, de ser necesario.
PLANO DE INSTALACIONES SANITARIAS
PLANO ISOMÉTRICO DE INST. SANITARIAS
a) Plano de iluminación y tomas de corriente
por niveles;
b) Plano de diagramas de tableros eléctricos;
c) Plano de detalles de banco de medidores;
d) Plano de detalles constructivos;
e) Especificaciones técnicas de los materiales; y
f) Procedimiento de ejecución, de ser necesario.
a) Plano de conexión a la red pública de comunicaciones
b) Plano de sistema de distribución
c) Plano de salidas de comunicaciones telefónicas, cable,
internet, sistemas de alarma, detectores de humo, sensores
de movimiento, sistemas inteligentes, circuitos cerrados de
TV, sistemas de control de accesos, sistemas de seguridad,
redes de enlace entre computadoras, sistema de llamadas y
música ambiental, sistema de parlantes, sistema de control
de personas y sistema de control de medios audiovisuales, en
lo que sea pertinente;
d) Plano de diagramas de instalación de equipos electrónicos;
e) Plano de detalles de equipos;
f) Plano de detalles constructivos;
g) Especificaciones técnicas de los materiales y equipos; y
h) Procedimiento de ejecución, de ser necesario

Expediente tecnico primera_parte

  • 2.
  • 3.
     Un expedientetécnico es el conjunto de documentos de carácter técnico y/o económico que permiten la adecuada ejecución de una obra.
  • 4.
    En Obras Públicases PRIORITARIO que el Expediente técnico se ajuste al Estudio de Pre Inversión declarado viable (perfil o factibilidad), debe evitarse modificaciones sustanciales que puedan alterar o modificar el objetivo por el cual el proyecto fue concebido. Revisar Art.27 de la Directiva general del SNIP
  • 5.
     Construcción dela carretera Huanuara – Mirave  L=25 KM,  Sección 4.5km  Trocha a nivel de afirmado  18km de Cunetas SEGÚN PERFIL SEGÚN ET o ED  Construcción de la carretera Huanuara – Mirave  L=28 KM,  Sección 5.5km  Asfaltado  Construcción de 01 pontón  Construcción de canal abierto de concreto f´c=175kg/cm2  L=5 KM,  Sección trapezoidal  Construcción de canal cubierto f´c=175kg/cm2  L=5 KM,  Sección rectangular C a s o 1 C a s o 2  Construcción de  04 aulas de 42m2 c/u  01batería de SSHH  01 Patio dehonor  Construcción de  05 aulas de 42m2 c/u  01batería de SSHH  01 Patio de honor  01 pozo séptico y tanque percolador C a s o 3
  • 6.
     Reglamento Nacionalde Edificaciones (D.S. N°011-2006-VIVIENDA) Según la Norma G.040 el Expediente técnico está constituido por: -memoria descriptiva -planos por especialidades -especificaciones técnicas -metrados y presupuestos -análisis de precios unitarios -cronogramas de ejecución de obra -fórmulas de reajuste de precios -estudios de suelos, geológicos, etc. -estudios de impacto ambiental, etc. Resolución de Contraloría N°195-88-CG Norma que regula la ejecución de obras por administración directa Art. N°1/ítem 3 “Es requisito indispensable para la ejecución de estas obras contar con el Expediente técnico aprobado por el nivel competente, debe contener: memoria descriptiva, especificaciones técnicas, planos, metrados, presupuesto base, análisis de P.U., cronograma de adquisición de materiales y ejecución de obras” Ley de Contrataciones del Estado (aprobado por D.L. 1017) Artículo 13.- Características técnicas de los bienes, servicios y obras  En el caso de obras, además, se deberá contar con la disponibilidad física del  terreno o lugar donde se ejecutará la misma y con el expediente técnico aprobado, Directiva General del SNIP R.D. N°003-2011-EF/68.01 Art.10.- Funciones y responsabilidades de la Unidad Ejecutora 10.1 La UE tiene las siguientes funciones: a. Ejecuta el PIP autorizado por el Órgano Resolutivo, o el que haga sus veces. b. Elabora el estudio definitivo, expediente técnico u otro documento equivalente, ó supervisa su elaboración, cuando no sea realizado directamente por este órgano.
  • 7.
     La Entidad,elabora de manera directa sus expedientes técnicos. Siendo necesario que cuente con profesionales especializados, la infraestructura, recursos humanos y logística que lo permita (Oficina de Estudios).  La UE debe ceñirse a la viabilidad para la elaboración del ET o ED  La Entidad elabora sus expedientes técnicos de forma indirecta, a través de un consultor de obra contratado especialmente para tal fin observando las disposiciones de la normativa
  • 8.
  • 10.
     Constituye ladescripción del proyecto. Señala la justificación técnica de acuerdo a la evaluación del estado de la obra, debiendo indicarse consideraciones técnicas cuya índole depende del tipo de obra a ejecutar y que exigen el desarrollo de un conjunto de trabajos señalados en el expediente técnico. Asimismo, se señala en forma precisa los objetivos a alcanzar con el desarrollo de la obra o trabajos planteados
  • 11.
     Antecedentes/ Generalidades Objetivos  Ubicación / Características del terreno  Descripción del proyecto  Metas  Modalidad de ejecución  Plazo d ejecución  Presupuesto  Observaciones / Recomendaciones
  • 14.
    DE ARQUITECTURA DE CÁLCULO ESTRUCTURAL Se detalla cuadros de áreas  los criterios de diseño arquitectónico  Los materiales principales  Otros datos importantes  Se precisa los principales parámetros de cálculo de todos los elementos estructurales que forman parte del proyecto.  Se anexa los cálculos y sus resultados
  • 15.
    INSTALACIONES ELECTRICAS  DE INSTALACIONES SANITARIAS El objetivo es describir y calcular los sistemas sanitarios, mencionar los trabajos  realizados y materiales suministrados para la Instalación Hidrosanitaria: abastecimiento del agua,  disposición final de las redes de alcantarillado, sistema de ventilación, drenaje pluvial, etc.  DE INSTALACIONES ELECTRICAS  Describir los lineamientos generales y cálculos de la instalación eléctrica a realizar, indicando:  1. Arquitectura de tableros  2. Sistemas de canalizaciones  3. Instalaciones de iluminación y tomas  4. Instalación en sectores específicos.  5. Compensación de energía reactiva  6. Sistema de puesta a tierra  7. Sistema de protección contra descargas atmosféricas  8.Instalación de redes, etc INSTALACIONES SANITARIAS
  • 16.
     Construcción dela carretera Huanuara – Mirave  L=25 KM,  Sección 4.5km  Trocha a nivel de afirmado  18km deCunetas SEGÚN PERFIL SEGÚN ET o ED  Construcción de la carretera Huanuara – Mirave  L=28 KM,  Sección 5.5km  Asfaltado  Construcción de 01 pontón SEGÚN PERFIL  Construcción de canal abierto de concreto f´c=175kg/cm2  L=5 KM,  Sección trapezoidal SEGÚN ET o ED  Construcción de canal cubierto f´c=175kg/cm2  L=5 KM,  Sección rectangular C a s o 1 C a s o 2
  • 17.
    ESPECIFICACIÓN TECNICA CONSTITUYE ELCONJUNTO DE REGLAS Y DOCUMENTOS VINCULADOS A: •MÉTODOS DE CONSTRUCCIÓN •CALIDAD Y CARACTERÍSTICAS DELOS MATERIALES •SISTEMAS DE CONTROL DE CALIDAD DE LOS TRABAJOS Y MATERIALES •MÉTODOS DE MEDICIÓN Y CONDICIONES DE PAGO
  • 18.
     BASE GRANULARe = 0.10 m EN PATIO Y LOSA  01.02.01  Estas partida comprenden en colocar en forma manual una capa de base granular con material seleccionado con el fin de logar un terreno compacto, y con la humedad óptima.  MEDICION  La unidad de medición a que se refiere esta partida es el metro cuadrado (m2).  FORMA DE PAGO  El pago de ésta partida se hará por metro cúbico, cuyos precios unitarios se encuentran definidos en el presupuesto, incluyendo equipos, mano de obra, herramientas y todo lo necesario para la correcta ejecución de la partida de obra. 
  • 19.
     02.04.00 RELLENOO CONFORMACION DE TERRAPLENES  DESCRIPCION  Comprende el relleno con equipo de material propio de corte, considerándose como tales los materiales que pueden ser removidos por equipos mecánicos tales como retroexcavadoras, tractores o Motoniveladoras.  Se rellenara en el ancho correspondiente a las explanaciones indicadas en los Planos, hasta el nivel que se especifica en el diseño y plano correspondiente.  El relleno se realizará por capas cuyo espesor no excederá los 35 cm  MEDICION:  La unidad de medición correspondiente a ésta partida es el metro cúbico (m3).  FORMA DE VALORIZACIÓN:  La valorización de ésta partida se hará por metro cúbico, según precios unitarios que se encuentran definidos en el presupuesto, incluyendo equipos, mano de obra, herramientas y todo lo necesario para la correcta ejecución de la partida de obra.
  • 20.
     LADRILLO DETECHO 0.30m. x 0.30m. x 0.15m.  04.07.04/   Los ladrillos serán de arcilla cocida, de formas y color uniformes, de fabricación industrial, de dimensiones constantes, debiéndose obtener un sonido metálico al ser golpeado, sin agrietamientos, fisuras ni fraccionamientos.   Método de Medición  Se calculará la cantidad neta de ladrillos o bloques huecos sin considerar desperdicios.   Bases de Pago  El pago de los ladrillos de techo se hará por la partida correspondiente en base a precios unitarios por pieza colocada. Este precio incluirá, además de los materiales, mano de obra y equipo necesario para ejecutar la partida. 
  • 21.
     03.01.00 CONCRETOF`C = 175 KG. /CM2   DESCRIPCIÓN  Comprende los trabajos necesarios para la fabricación de concreto, debiendo alcanzar los niveles propuestos en los planos correspondientes. El cemento, piedra chancada, arena gruesa y agua a utilizar cumplirán las especificaciones técnicas.   SISTEMA DE CONTROL DE CALIDAD:  El Residente tendrá especial cuidado en el almacenaje del cemento y tendrá en cuanta las especificaciones señaladas anteriormente. El Supervisor se reserva el derecho de rechazar todo material que no reúna las condiciones señaladas en las especificaciones ASTM C-33 y que no estén especificadas en el análisis correspondiente.   MEDICION:  La unidad de medición a que se refiere esta partida es el metro cúbico (m3)   FORMA DE VALORIZACIÓN:  La valorización de esta partida será de acuerdo a la unidad de medición, según precios que se encuentran definidos en el presupuesto de obra, incluyendo equipos, mano de obra, herramientas y todo lo necesario para su correcta ejecución.
  • 24.
     Constituyen laexpresión cuantificada por partidas de los trabajos de construcción que se ha programado ejecutar en un plazo determinado, expresadas en la unidad de medida que ha sido establecidas para cada partida; asi mismo, son necesarios para determinar el presupuesto de obra, por cuanto representa el volumen de trabajo de cada partida.  Con el fin de presupuestar una obra y controlar la ejecución y el pago de la misma, se establece un desglose del total de la obra en partes denominadas partidas. Es decir, una partida se establece con la finalidad de medir, cuantificar, presupuestar y pagar una obra.
  • 25.
    TÍTULO II: METRADOSPARA OBRAS DE EDIFICACIÓN TÍTULO III: METRADOS PARA HABILITACIONES URBANAS TÍTULO I: GENERALIDADES
  • 26.
  • 27.
  • 28.
  • 29.
    Calcular el áreade: 1. Vereda 26 x 1.4 x 2 = 72.8 m2 50 x 1.4 x 2 = 140.0m2 ∏ r² = 3.1416 x 1.4²/4 = 6.16 / 4 x 4= 6.16m2 Total Vereda= 218.95m2 1. Berma = 371.30m2
  • 34.
    PARTIDA UND LARGOANCHO SUBTOTAL TOTAL (mt) (mt) (m2) (m2) CONCRETOEN VEREDAS 74.40 MANZANA A (CALLE BOLIVAR) M2 30 1.20 36.00 MANZANA A (CALLE LA UNION) M2 32 1.20 38.40 1 5432 6 7 8 PARTIDA UND CANTIDAD LARGO ALTO SUBTOTAL TOTAL (mt) (mt) (m2) (m2) ALBAÑILERIA 84.00 MUROTIPOSOGAEJEA-A M2 8 3.50 3.00 84.00 3.00 Metrado en Albañilería: Muros (m2) Metrado en veredas (m2)
  • 35.
     Memoria descriptiva. ◦-Del Proyecto ◦ -De arquitectura ◦ -De cálculo estructural ◦ -De las instalaciones sanitarias ◦ -De las instalaciones eléctricas  Especificaciones técnicas.  Metrados.  Presupuesto de obra.  Análisis de precios unitarios.  Relación o listado de insumos  Calendario de avance de obra valorizado.  Fórmulas polinómicas.  Estudio de suelos.  Planos de obra  Estudio de Impacto ambiental.  Otros complementarios.
  • 36.
    NORMA E.050 DELRNE SUELOS Y CIMENTACIONES
  • 37.
    - El objetivode esta Norma es establecer los requisitos para la ejecución de Estudios de Mecánica de Suelos (EMS), con fines de cimentación, de edificaciones y otras obras indicadas en esta Norma. - Los EMS se ejecutarán con la finalidad de asegurar la estabilidad y permanencia de las obras y para promover la utilización racional de los recursos
  • 38.
    Es obligatorio efectuarel EMS en los siguientes casos: a) Edificaciones en general, que alojen gran cantidad de personas, equipos costosos o peligrosos, tales como:  colegios, universidades, hospitales y clínicas, estadios,  cárceles, auditorios, templos, salas de espectáculos, museos,  centrales telefónicas, estaciones de radio y televisión,  estaciones de bomberos, archivos y registros públicos,  Centrales de generación de electricidad, sub-estaciones eléctricas,  silos, tanques de agua y reservorios. b) Cualquier edificación no mencionada en a)  De uno a tres pisos, que ocupen individual o conjuntamente más de 500 m2 de área techada en planta.
  • 39.
    c) Cualquier edificaciónno mencionada en a) de cuatro o más pisos de altura, cualquiera que sea su área. d) Edificaciones industriales, fábricas, talleres o similares. e) Edificaciones especiales cuya falla, además del propio colapso, represente peligros adicionales importantes, tales como: reactores atómicos, grandes hornos, depósitos de materiales inflamables, corrosivos o combustibles, paneles de publicidad de grandes dimensiones y otros de similar riesgo. f) Cualquier edificación que requiera el uso de pilotes, pilares o plateas de fundación. g) Cualquier edificación adyacente a taludes o suelos que puedan poner en peligro su estabilidad.
  • 40.
    Alcance La información delEMS es válida solamente para el área y tipo de obra indicadas en el informe. No podrán emplearse en otros terrenos, para otras edificaciones, o para otro tipo de obra. Responsabilidad Todo EMS deberá ser firmado por el PR, quien asume la responsabilidad del contenido y de las conclusiones del informe. El PR no podrá delegar a terceros dicha responsabilidad.
  • 41.
    El informe delEMS comprenderá: 1. Memoria Descriptiva 2. Planos de Ubicación de las Obras y de distribución de los puntos de investigación. 3. Perfiles de Suelos 4. Resultados de los Ensayos «in situ» y de Laboratorio 5. Anexos
  • 42.
    a) Resumen delas Condiciones de Cimentación Descripción resumida de los tópicos principales del informe:  Tipo de cimentación.  Estrato de apoyo de la cimentación.  Parámetros de diseño para la cimentación (profundidad de la cimentación, presión admisible, factor de seguridad por corte y asentamiento diferencial o total).  Agresividad del suelo a la cimentación..  Recomendaciones adicionales. b) Información Previa  Descripción detallada de la información recibida de quien solicita el EMS y de la recolectada por el PR en campo. c) Exploración de Campo  Descripción de los pozos, calicatas, trincheras, perforaciones y auscultaciones, así como de los ensayos efectuados, con referencia a las Normas empleadas.
  • 43.
    d) Ensayos deLaboratorio Descripción de los ensayos efectuados, con referencia a las normas empleadas. e) Perfil del Suelo Descripción de los diferentes estratos que constituyen el terreno investigado indicando para cada uno de ellos:  origen, nombre y símbolo del grupo del suelo, según el Sistema Unificado de Clasificación de Suelos - SUCS, NTP, etc. f) Nivel de la Napa Freática Ubicación de la napa freática, indicando la fecha de medición y comentarios sobre su variación en el tiempo. g) Análisis de la Cimentación Descripción de las características físico – mecánicas de los suelos que controlan el diseño de la cimentación. Análisis y diseño de solución para cimentación. Se incluirá memorias de cálculo en cada caso, en la que deberán indicarse todos los parámetros utilizados y los resultados obtenidos. h) Efecto del Sismo En concordancia con la NTE E.030 Diseño Sismorresistente, el EMS proporcionará como mínimo lo siguiente: - El Factor de Suelo (S) y - El Período que define la plataforma del espectro para cada tipo de suelo (Tp(S))., etc.
  • 44.
    a) Plano deubicación del programa de exploración Plano topográfico o planimétrico del terreno, relacionado a una base de referencia y mostrando la ubicación física de la cota (o BM) de referencia. b) Plano de ubicación exacta: de las calicatas, pozos, perforaciones, etc., dentro del área estudiada. c)Plano de referencia de distribución por bloques, de las áreas que se proyectan construir
  • 45.
    .  . 3. PerfilEstratigráfico por punto investigado Debe incluirse la información del perfil del suelo indicada según la referencia de los estudios desarrollados, así como las muestras obtenidas y los resultados de los ensayos «in situ». Se sugiere incluir símbolos gráficos según normatividad.
  • 46.
     Se incluirántodos los gráficos y resultados obtenidos en el Laboratorio según la aplicación de las Normas.  Determinar la capacidad portante del terreno y las características físicas del mismo
  • 47.
    1.Fotografías 2.Antecedentes del terrenoy de zonas aledañas 3.Indicaciones de linderos 4. Obras anteriores u existentes 5.Usos y zonificación 6.Otros
  • 53.
     El impactoambiental es el efecto que produce la actividad humana sobre el medio ambiente. Así como también los efectos de un fenómeno natural catastrófico sobre el medio ambiente. Técnicamente, es la alteración de la línea de base ambiental.  El estudio de impacto ambiental (EIA) es un procedimiento por el que se identifican y evalúan los efectos de ciertos proyectos sobre el medio físico y social.  Objetivo General de un EIA Presentar medidas destinadas a la prevención, control mitigación de los potenciales impactos negativos generados sobre los componentes físicos, biológicos, socioeconómicos y culturales, como consecuencia de la ejecución del Proyecto
  • 54.
     Protección delos servicios existentes  Protección del sistema hidrológico  Prevención del ruido  Protección del patrimonio histórico-artístico y arqueológico  Protección de la fauna  Protección de la vegetación  Defensa contra la erosión, recuperación ambiental e integración paisajística de la obra  Seguimiento y vigilancia
  • 55.
    1. INTRODUCCION 2. BASELEGAL 3. DESCRIPCIÓN DEL PROYECTO 4. DIAGNÓSTICO AMBIENTAL 5. PLAN DE MANEJO AMBIENTAL EN LAS ACTIVIDADES DE CONSTRUCCIÓN 6. SUPERVISIÓN, MONITOREO Y SEGUIMIENTO
  • 56.
    4.1 AMBIENTE ABIÓTICO 4.1.1.CLIMA  AGUAS SUPERFICIALES  SUELO  USO ACTUAL DEL SUELO  AIRE 4.2 AMBIENTE BIOTICO 4.2.1 FLORA 4.3 AMBIENTE SOCIO ECONOMICO 4.3.1. DEMOGRAFIA 4.3.2. ACTIVIDADES ECONÓMICAS
  • 57.
    Objetivo General Presentar medidasdestinadas a la prevención, control y mitigación de los potenciales impactos negativos generados sobre los componentes físicos, biológicos, socioeconómicos y culturales, como consecuencia de la ejecución del Proyecto. Objetivos específicos  Determinar las medidas de prevención y mitigación para evitar o reducir la severidad de los impactos ambientales negativos identificados para el desarrollo de las actividades del proyecto.  Diseñar el programa de monitoreo y seguimiento ambiental de las medidas preventivas, de control y mitigación.
  • 58.
    LEGISLACIÓN SOBRE EVALUACIÓNDE IMPACTO AMBIENTAL EN EL PERÚ
  • 59.
    DECLARACIÓN DE IMPACTOAMBIENTAL ESTUDIO DE IMPACTO AMBIENTAL DIAGNOSTICO AMBIENTAL PRELIMINAR PROGRAMAS DE ADECUACIÓN Y MANEJO AMBIENTAL PRINCIPALES ESTUDIOS AMBIENTALES
  • 60.
    DECLARACIÓN DE IMPACTOAMBIENTAL (DIA)
  • 61.
    ESTUDIO DE IMPACTOAMBIENTAL (EIA)
  • 62.
  • 63.
    PROGRAMAS DE ADECUACIÓNY MANEJO AMBIENTAL (PAMA)
  • 64.
  • 65.
  • 68.
  • 69.
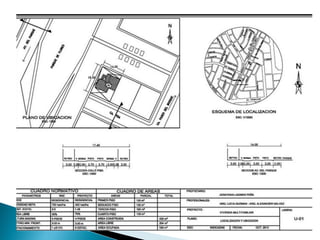
    El proyecto dearquitectura para edificación debe contener la siguiente información: 1. Plano de localización y ubicación; debe contener: a) Información de sección de las vías frente al terreno, distancia a la esquina mas cercana, norte magnético, altura y zonificación de los terrenos colindantes, árboles y postes, indicación del número de niveles de la edificación; b) Cuadro de áreas y de parámetros urbanísticos y edificatorios exigibles para edificar en el predio.
  • 71.
    2. Planos dedistribución por niveles; a) Niveles de pisos terminados; b) Dimensiones de los ambientes; c) Indicación de los materiales de acabados; d) Nombres de los ambientes; e) Mobiliario fijo; f) Amoblamiento, cuando se trate de dimensiones mínimas o sea necesario para entender el uso; y g) Ubicación de los tableros eléctricos.
  • 73.
    3. Planos deelevaciones; 4. Planos de cortes por los elementos de circulación vertical; 5. Planos de detalles constructivos; 6. Planos de seguridad, deben contener a) Rutas de escape e indicación de salidas; b) Ubicación de luces de emergencia; c) Ubic. de extintores, gabinetes contra incendio, y elementos de detección d) Señalización; e) Zonas de seguridad;
  • 76.
     Nota.- Sise trata de una ampliación o remodelación, los planos de arquitectura deben contener la identificación de la obra nueva y de la obra existente.
  • 77.
    a) Plano decimentación, con referencia al estudio de suelos; b) Plano de armadura de cada techo, indicando niveles y cargas de diseño; c) Plano de columnas y placas; d) Plano de vigas y detalles; e) Memoria de calculo; f) Especificaciones técnicas de los materiales estructurales; y g) Procedimiento de ejecución, de ser necesario.
  • 78.
  • 79.
  • 81.
    a) Planos dedistribución de redes de agua y desagüe por niveles; b) Planos de isometría y montantes; c) Plano de detalles constructivos; d) Especificaciones técnicas de los materiales; y e) Procedimiento de ejecución, de ser necesario.
  • 82.
  • 83.
    PLANO ISOMÉTRICO DEINST. SANITARIAS
  • 84.
    a) Plano deiluminación y tomas de corriente por niveles; b) Plano de diagramas de tableros eléctricos; c) Plano de detalles de banco de medidores; d) Plano de detalles constructivos; e) Especificaciones técnicas de los materiales; y f) Procedimiento de ejecución, de ser necesario.
  • 86.
    a) Plano deconexión a la red pública de comunicaciones b) Plano de sistema de distribución c) Plano de salidas de comunicaciones telefónicas, cable, internet, sistemas de alarma, detectores de humo, sensores de movimiento, sistemas inteligentes, circuitos cerrados de TV, sistemas de control de accesos, sistemas de seguridad, redes de enlace entre computadoras, sistema de llamadas y música ambiental, sistema de parlantes, sistema de control de personas y sistema de control de medios audiovisuales, en lo que sea pertinente; d) Plano de diagramas de instalación de equipos electrónicos; e) Plano de detalles de equipos; f) Plano de detalles constructivos; g) Especificaciones técnicas de los materiales y equipos; y h) Procedimiento de ejecución, de ser necesario