CHIRIMOYA
Historia Al comienzo, la expansión territorial del chirimoyo estuvo a cargo de poblaciones prehispánicas que llevaron el material de propagación a lugares que ahora comprende a Chile, Bolivia, Ecuador y otros países. Esto se facilito por el contenido relativamente bajo de humedad de la semilla del chirimoyo, que permite conservar su poder germinativo por más de un año en condiciones de medio ambiente natural. En épocas recientes el cultivo de este frutal se amplió a otros países como México, Estados Unidos; Antillas, Argentina, África Central, Indochina, Islas Canarias y de Madera. Asimismo, Argelia, Egipto e Israel. En España logró el chirimoyo su adaptación a las zonas de Granada y Málaga. La producción de este frutal en el país, todavía tiene poco sustento tecnológico y aún sigue dirigida fundamentalmente hacia el mercado interno de fruta fresca, poco o nada exigente en calidad, en donde la exportación y la industria todavía siguen siendo formas residuales de esta comercialización. El cultivo del chirimoyo ha logrado niveles relativamente altos de competitividad en otros países. Recién frente a la constatación de esta situación desfavorable que confronta esta actividad agrícola en el país, pese a sus ventajas comparativas, surge un movimiento de impulso que promueva este cultivo como se propone con el presente Boletín Técnico del “Cultivo del Chirimoyo" que trata aspectos de la producción, post cosecha, industrialización y de su comercialización.
Familia: Annonaceae. Especie: Annona cherimola. Árbol pequeño de hasta unos 8 m de altura, de tronco corto y copa amplia más o menos redondeada. Presenta ramificaciones bajas formando "faldones". Las ramas jóvenes están cubiertas de un fieltro de pelos grisáceos que a menudo toman un color de herrumbre. Hojas: caducifolio, pero en zonas con invierno suave se hace perennifolio o al menos mantiene las hojas hasta la primavera siguiente (perennifolio facultativo). Hojas ovales, en disposición alterna, con peciolo corto y nerviación regular, recubiertas por el envés de una pelosidad aparente. Flores: solitarias o agrupadas en número de 2-3 en las axilas de las hojas del año previo y hasta que no se cae la hoja esa yema no puede desarrollarse (está protegida por el peciolo de la hoja). Presentan tres pétalos muy carnosos de color verde crema, poco atractivos, que rodean un cono que contiene de 100 a 200 carpelos. Los estambres ocupan la base del cono y los granos de polen van en tétradas.
 
Variedades de chirimoyos: Se consideran distintos grupos botánicos según las irregularidades de la epidermis del fruto, aunque esta clasificación es de base genética muy dudosa, ya que dentro de un mismo árbol aparecen frutos de distinta rugosidad. El número de variedades está muy restringido en España, destacando Fino de Jete (90%) y Campas, y en menor proporción, Pacica y Bonita, siendo necesaria una expansión varietal para diversificar las fechas de recolección. Nombres Comunes Quechua: chirimoya Ayrmara: yuructira Español: chririmoya, cherimoya, cherimalla, cherimoyales, anona del Perú, chirimoyo del Perú, cachimán de la China, catuche, momona, girimoya, masa. Portugués: cherimólia Inglés: cherimoya, cherimoyer, annona. Francés: chérimolier, anone. Italiano: cerimolia Holandés: cherimolia Aleman: chirimoyabaum, cherimoyer, cherimolia, peruanischer, Flaschenbaum, Flachsbaum.
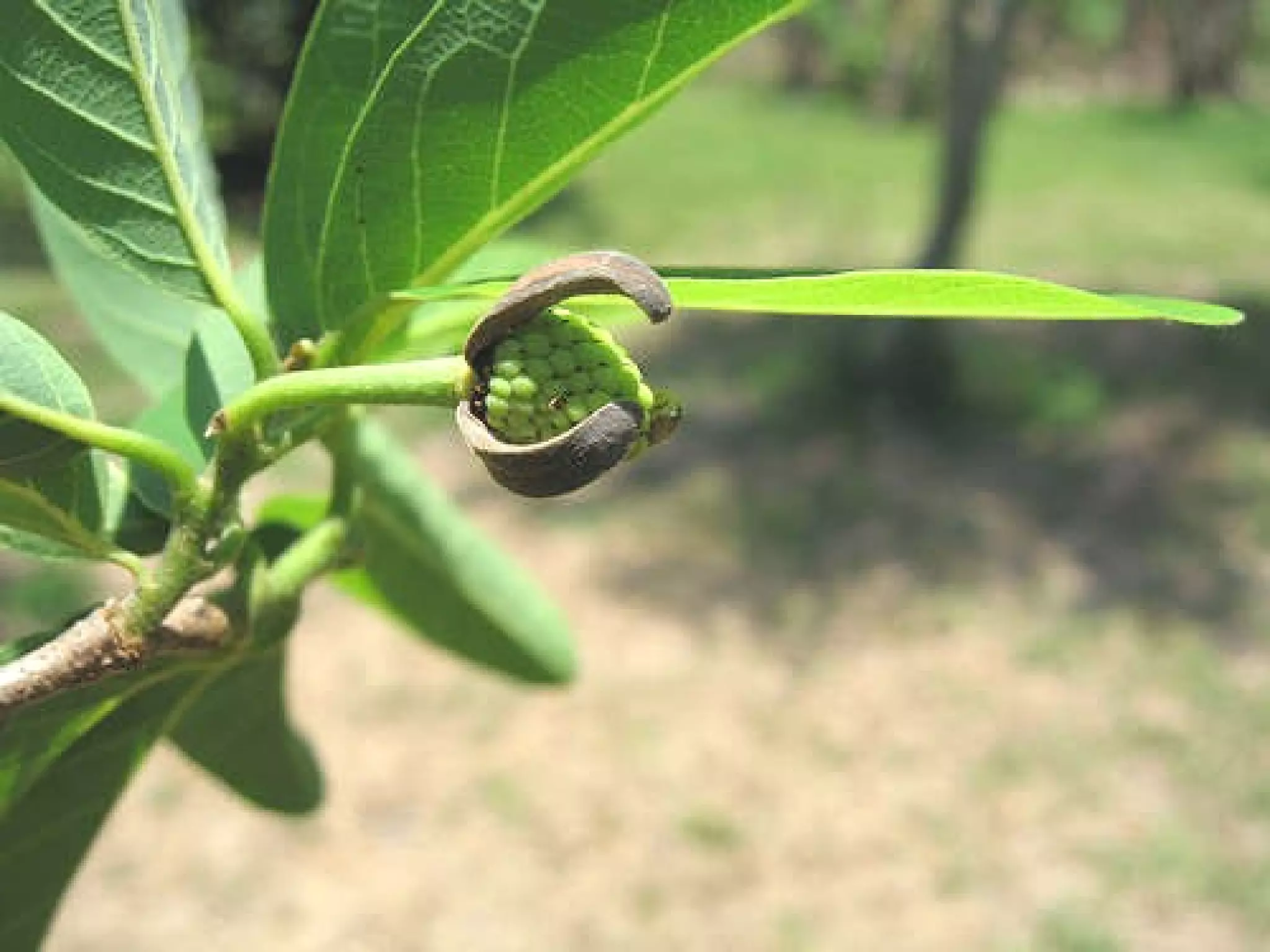
Fruto: Baya con numerosas semillas de color negro, ovoideas y brillantes. Es una infrutescencia de color verde, que al madurar toma un color más cálido. Es un fruto complejo, formado por la unión de los pistilos con el receptáculo, del tipo de los denominados sincarpos. No se abre en la madurez y tiene pulpa blanquecina. Si el óvulo no es fertilizado el carpelo correspondiente tiende a no desarrollarse, con lo que el fruto se deforma. Se consume sobre todo como fruta fresca. También se añade a macedonias y sorbetes y se puede usar para elaborar mermeladas, batidos o helados. La chirimoya es un alimento rico en vitaminas y minerales. Destaca por su contenido en vitaminas A y C y en fósforo y calcio. Es adecuada para personas con problemas cardíacos, hepáticos o renales.
Distribuci ó n geogr á fica del cultivo de la chirimoya
España es el principal productor de esta fruta a nivel mundial y Andalucía, la región donde se concentra la mayor producción. En los últimos años, las plantaciones de chirimoyo ha cambiado mucho debido a los constantes avances en las técnicas de cultivo. La producción media de chirimimoya por hectárea cultivada es superior a la de otras frutas subtropicales como los aguacates, que también se cultivan en la misma zona. Anualmente, en estas tierras andaluzas se producen entre 30.000 y 35.000 toneladas de chirimoya de las cuales más del 90 por ciento se consumen en España debido a que la fruta es muy poco resistente al transporte. La variedad de chirimoya predominante en esta zona es la Fino de Jete, que necesita mucho agua en los meses de más calor.
Denominación de Origen Protegida Chirimoya Costa Tropical (Andalucía)
Flor del chirimoyo Flor del chirimoyo
 
 
Valor nutricional: Contenido energ é tico alto Dentro de su grupo. Esta caracter í stica hace que pueda ser incluida en dietas donde el aporte energ é tico deba ser alto como en periodos de crecimiento y desarrollo durante la ni ñ ez y adolescencia, en poblaci ó n activa f í sicamente, deportistas, en personas convalecientes de enfermedades que necesiten un aporte adicional de calor í as. Rica en fibra diet é tica. Su contenido en fibra es alto, solo comparable con el pl á tano, y superior al kiwi. Esta caracter í stica lo hace alimento de elecci ó n en dietas laxantes para el tratamiento del estre ñ imiento habitual y en enfermedades del aparato digestivo que requieran ingesta de fibra, como el colon irritable. El consumo de fibra es importante en la prevenci ó n del c á ncer de colon recto. Í ndice gluc é mico bajo. Este  í ndice nos refleja la capacidad de un alimento para elevar, tras su consumo, la glucosa sangu í nea y de esta manera liberar insulina del p á ncreas. Esta caracter í stica hace que el chirimoyo sea una fruta de elecci ó n en personas con cierta intolerancia a la glucosa (diabetes tipo 2, s í ndrome metab ó lico). Esta bajo  í ndice gluc é mico frente a otras muchas frutas se debe, en parte, a su alto contenido en fibra. Hoy en d í a tambi é n se recomienda tomar alimentos con  í ndices gluc é micos bajos en reg í menes de adelgazamiento. El contenido en grasa   es muy bajo, pero su perfil es muy peculiar con un  í ndice omega 6 y omega 3 de 1:1, muy cercano al considerado saludable para la grasa diet é tica y caracter í stico de la alimentaci ó n mediterr á nea.
Vitaminas hidrosolubles. La pulpa de este fruto es especialmente rica en Vitaminas del grupo B y en especial B (Tiamina) y B (Riboflavina), necesarias en el metabolismo de Hidratos de carbono, estas vitaminas son importantes para personas activas f í sicamente. Aunque contiene vitamina C, las cantidades no son muy elevadas, m á s bien discretas y no competir í a con los c í tricos en esta vitamina. Minerales. Es de destacar en estos micronutrientes so bajo contenido en sodio, lo que hace que su consumo sea adecuado para personas con hipertensi ó n arterial, y su alto contenido en potasio. Tambi é n aporta cantidades relevantes de magnesio y f ó sforo y sobre todo de hierro. Este  ú ltimo mineral cubre un porcentaje de las CDR significativo en hombres y algo menor en mujeres. De forma global, el chirimoyo, dentro de su grupo, las frutas, es una de las m á s densas nutricionalmente hablando. Por su bajo contenido en agua, su densidad energ é tica nutricional es de las m á s altas, aportando nutrientes importantes dentro de una dieta saludable y variada. SALES Y MINERALES CANTIDAD Agua 75,7 gr. Proteínas 1,0 gr. Grasas 0,1 gr. Carbohidratos 22,0 gr. Fibras 1,9 gr. Cenizas 1,0 gr. Calcio 29,0 mg. Fósforo 40,0 mg. Hierro 0,6 mg. Vitamina A 0,01 mg. Tiamina 0,08 mg. Riboflavina 0,14 mg. Niacina 0,90 mg. Ácido Ascórbico 18 mg. Calorías 81,00 Kcal. Colesterol 0 mg.
Como remedio natural Propiedades diuréticas. Abundante glucosa y fructuosa. Regula el colesterol. Fuente de vitamina C. Antioxidante y preventiva de resfríos, de vitaminas B1 y B2 Aporta minerales como el potasio Previene calambres Antianémico Aporta magnesio. Aporta Calcio, lo que favorece a fortalecer los huesos. Aporta fósforo, tan bueno para las funciones cerebrales Fuente de fibra, por lo que regula el tracto intestinal. Se puede comer la pulpa, que tiene un sabor amargo, se recomienda esta fruta a todas las edades, pero en especial a la gente que tiene mucho desgaste energético.

Chirimoya

  • 1.
  • 2.
    Historia Al comienzo,la expansión territorial del chirimoyo estuvo a cargo de poblaciones prehispánicas que llevaron el material de propagación a lugares que ahora comprende a Chile, Bolivia, Ecuador y otros países. Esto se facilito por el contenido relativamente bajo de humedad de la semilla del chirimoyo, que permite conservar su poder germinativo por más de un año en condiciones de medio ambiente natural. En épocas recientes el cultivo de este frutal se amplió a otros países como México, Estados Unidos; Antillas, Argentina, África Central, Indochina, Islas Canarias y de Madera. Asimismo, Argelia, Egipto e Israel. En España logró el chirimoyo su adaptación a las zonas de Granada y Málaga. La producción de este frutal en el país, todavía tiene poco sustento tecnológico y aún sigue dirigida fundamentalmente hacia el mercado interno de fruta fresca, poco o nada exigente en calidad, en donde la exportación y la industria todavía siguen siendo formas residuales de esta comercialización. El cultivo del chirimoyo ha logrado niveles relativamente altos de competitividad en otros países. Recién frente a la constatación de esta situación desfavorable que confronta esta actividad agrícola en el país, pese a sus ventajas comparativas, surge un movimiento de impulso que promueva este cultivo como se propone con el presente Boletín Técnico del “Cultivo del Chirimoyo" que trata aspectos de la producción, post cosecha, industrialización y de su comercialización.
  • 3.
    Familia: Annonaceae. Especie: Annonacherimola. Árbol pequeño de hasta unos 8 m de altura, de tronco corto y copa amplia más o menos redondeada. Presenta ramificaciones bajas formando "faldones". Las ramas jóvenes están cubiertas de un fieltro de pelos grisáceos que a menudo toman un color de herrumbre. Hojas: caducifolio, pero en zonas con invierno suave se hace perennifolio o al menos mantiene las hojas hasta la primavera siguiente (perennifolio facultativo). Hojas ovales, en disposición alterna, con peciolo corto y nerviación regular, recubiertas por el envés de una pelosidad aparente. Flores: solitarias o agrupadas en número de 2-3 en las axilas de las hojas del año previo y hasta que no se cae la hoja esa yema no puede desarrollarse (está protegida por el peciolo de la hoja). Presentan tres pétalos muy carnosos de color verde crema, poco atractivos, que rodean un cono que contiene de 100 a 200 carpelos. Los estambres ocupan la base del cono y los granos de polen van en tétradas.
  • 4.
  • 5.
    Variedades de chirimoyos:Se consideran distintos grupos botánicos según las irregularidades de la epidermis del fruto, aunque esta clasificación es de base genética muy dudosa, ya que dentro de un mismo árbol aparecen frutos de distinta rugosidad. El número de variedades está muy restringido en España, destacando Fino de Jete (90%) y Campas, y en menor proporción, Pacica y Bonita, siendo necesaria una expansión varietal para diversificar las fechas de recolección. Nombres Comunes Quechua: chirimoya Ayrmara: yuructira Español: chririmoya, cherimoya, cherimalla, cherimoyales, anona del Perú, chirimoyo del Perú, cachimán de la China, catuche, momona, girimoya, masa. Portugués: cherimólia Inglés: cherimoya, cherimoyer, annona. Francés: chérimolier, anone. Italiano: cerimolia Holandés: cherimolia Aleman: chirimoyabaum, cherimoyer, cherimolia, peruanischer, Flaschenbaum, Flachsbaum.
  • 6.
    Fruto: Baya connumerosas semillas de color negro, ovoideas y brillantes. Es una infrutescencia de color verde, que al madurar toma un color más cálido. Es un fruto complejo, formado por la unión de los pistilos con el receptáculo, del tipo de los denominados sincarpos. No se abre en la madurez y tiene pulpa blanquecina. Si el óvulo no es fertilizado el carpelo correspondiente tiende a no desarrollarse, con lo que el fruto se deforma. Se consume sobre todo como fruta fresca. También se añade a macedonias y sorbetes y se puede usar para elaborar mermeladas, batidos o helados. La chirimoya es un alimento rico en vitaminas y minerales. Destaca por su contenido en vitaminas A y C y en fósforo y calcio. Es adecuada para personas con problemas cardíacos, hepáticos o renales.
  • 7.
    Distribuci ó ngeogr á fica del cultivo de la chirimoya
  • 8.
    España es elprincipal productor de esta fruta a nivel mundial y Andalucía, la región donde se concentra la mayor producción. En los últimos años, las plantaciones de chirimoyo ha cambiado mucho debido a los constantes avances en las técnicas de cultivo. La producción media de chirimimoya por hectárea cultivada es superior a la de otras frutas subtropicales como los aguacates, que también se cultivan en la misma zona. Anualmente, en estas tierras andaluzas se producen entre 30.000 y 35.000 toneladas de chirimoya de las cuales más del 90 por ciento se consumen en España debido a que la fruta es muy poco resistente al transporte. La variedad de chirimoya predominante en esta zona es la Fino de Jete, que necesita mucho agua en los meses de más calor.
  • 9.
    Denominación de OrigenProtegida Chirimoya Costa Tropical (Andalucía)
  • 10.
    Flor del chirimoyoFlor del chirimoyo
  • 11.
  • 12.
  • 13.
    Valor nutricional: Contenidoenerg é tico alto Dentro de su grupo. Esta caracter í stica hace que pueda ser incluida en dietas donde el aporte energ é tico deba ser alto como en periodos de crecimiento y desarrollo durante la ni ñ ez y adolescencia, en poblaci ó n activa f í sicamente, deportistas, en personas convalecientes de enfermedades que necesiten un aporte adicional de calor í as. Rica en fibra diet é tica. Su contenido en fibra es alto, solo comparable con el pl á tano, y superior al kiwi. Esta caracter í stica lo hace alimento de elecci ó n en dietas laxantes para el tratamiento del estre ñ imiento habitual y en enfermedades del aparato digestivo que requieran ingesta de fibra, como el colon irritable. El consumo de fibra es importante en la prevenci ó n del c á ncer de colon recto. Í ndice gluc é mico bajo. Este í ndice nos refleja la capacidad de un alimento para elevar, tras su consumo, la glucosa sangu í nea y de esta manera liberar insulina del p á ncreas. Esta caracter í stica hace que el chirimoyo sea una fruta de elecci ó n en personas con cierta intolerancia a la glucosa (diabetes tipo 2, s í ndrome metab ó lico). Esta bajo í ndice gluc é mico frente a otras muchas frutas se debe, en parte, a su alto contenido en fibra. Hoy en d í a tambi é n se recomienda tomar alimentos con í ndices gluc é micos bajos en reg í menes de adelgazamiento. El contenido en grasa es muy bajo, pero su perfil es muy peculiar con un í ndice omega 6 y omega 3 de 1:1, muy cercano al considerado saludable para la grasa diet é tica y caracter í stico de la alimentaci ó n mediterr á nea.
  • 14.
    Vitaminas hidrosolubles. Lapulpa de este fruto es especialmente rica en Vitaminas del grupo B y en especial B (Tiamina) y B (Riboflavina), necesarias en el metabolismo de Hidratos de carbono, estas vitaminas son importantes para personas activas f í sicamente. Aunque contiene vitamina C, las cantidades no son muy elevadas, m á s bien discretas y no competir í a con los c í tricos en esta vitamina. Minerales. Es de destacar en estos micronutrientes so bajo contenido en sodio, lo que hace que su consumo sea adecuado para personas con hipertensi ó n arterial, y su alto contenido en potasio. Tambi é n aporta cantidades relevantes de magnesio y f ó sforo y sobre todo de hierro. Este ú ltimo mineral cubre un porcentaje de las CDR significativo en hombres y algo menor en mujeres. De forma global, el chirimoyo, dentro de su grupo, las frutas, es una de las m á s densas nutricionalmente hablando. Por su bajo contenido en agua, su densidad energ é tica nutricional es de las m á s altas, aportando nutrientes importantes dentro de una dieta saludable y variada. SALES Y MINERALES CANTIDAD Agua 75,7 gr. Proteínas 1,0 gr. Grasas 0,1 gr. Carbohidratos 22,0 gr. Fibras 1,9 gr. Cenizas 1,0 gr. Calcio 29,0 mg. Fósforo 40,0 mg. Hierro 0,6 mg. Vitamina A 0,01 mg. Tiamina 0,08 mg. Riboflavina 0,14 mg. Niacina 0,90 mg. Ácido Ascórbico 18 mg. Calorías 81,00 Kcal. Colesterol 0 mg.
  • 15.
    Como remedio naturalPropiedades diuréticas. Abundante glucosa y fructuosa. Regula el colesterol. Fuente de vitamina C. Antioxidante y preventiva de resfríos, de vitaminas B1 y B2 Aporta minerales como el potasio Previene calambres Antianémico Aporta magnesio. Aporta Calcio, lo que favorece a fortalecer los huesos. Aporta fósforo, tan bueno para las funciones cerebrales Fuente de fibra, por lo que regula el tracto intestinal. Se puede comer la pulpa, que tiene un sabor amargo, se recomienda esta fruta a todas las edades, pero en especial a la gente que tiene mucho desgaste energético.